Previous Page Table of Contents


FIGURES

FIGURE 1
MAP OF NEPAL

FIGURE 1

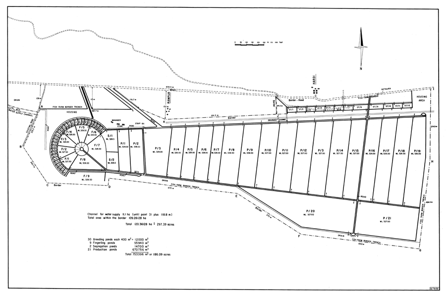
FIGURE 2
PIPLEY FISH FARM

FIGURE 2

FIGURE 3
BHANDAR - HARDI FISH FARM

FIGURE 3


Back Cover

Previous Page Top of Page