
0580-B1
Michael Copland[1]
The goal of the Sequential Thinning Strategy (STS) is to improve the cumulative volume and value yields of timber and operating cost investment returns from coastal forests, as compared to short rotation clear-cut silviculture, while simultaneously maintaining or improving stand and landscape level biodiversity. This proposal includes a development planning strategy along with a detailed stand management strategy. The development planning strategy involves the creation of discreet and constant operating units across the land base with site-specific stand management regimes. The stand management strategy facilitates the development of the site-specific stand management regimes and prescriptions. It has three principal components:
1. A long-rotation, multi-entry and sequential 'thinning from below' strategy on the overstory trees;
2. The simultaneous development and thinning strategy of a multi-layered and multi-species understory canopy structure;
3. The continuous management throughout rotation periods of wildlife trees and coarse woody debris.
The STS stand management strategy is a highly defined method of individual tree selection or more precisely, retention, where every tree on a given unit is assessed for its 'timber' or 'wildlife' tree potential.
The central scientific hypothesis is that practising this method of ecologically based forest management (ecoforestry) will improve the long-term resource, i.e., timber volume and value yields, investment returns and ecological sustainability over traditional short rotation clear-cut forest management.
An example application of the strategy and research/operational trial area has been developed on a 64 year-old second growth Douglas fir forest on the east coast of Vancouver Island, British Columbia. In order to accurately estimate yield projections, a growth and yield spreadsheet system called the Integrated Stand Data Spreadsheet system (ISDS) has been developed, and an abridged version of the volume yield prediction table for one of the operating units is included.
The current industrial and governmental policy for coastal forest management in British Columbia can be characterized, generally, as short rotation clearcut silviculture combined with reserves and various land-use zones (e.g., Vancouver Island Land Use Plan and Forest Practices Code Biodiversity Guidebook). This policy places industrial forestry activities in direct conflict with the maintenance of the ecological integrity of coastal temperate rainforests under the rationale that clearcut silviculture is the most cost efficient management system while producing the highest timber volume yields. While thinning strategies have been practised in various places throughout the world and on small woodlots in BC (Wilkinson, 2000) they have generally not been practised beyond the juvenile spacing and young commercial thinning age in industrial forestry in coastal BC with the exception of a 52 year study by the Canadian Forest Service (Beddows, 2002). As well, they have not been studied here for the combination of operational feasibility and ecological and economic benefits that they may provide in direct comparison with clearcut silvicultural practises. Traditionally clearcut rotation ages have been set at 'culmination-age' and varying between 70 and 140 years of depending on site, stand type and location. Currently there is a desire to move to 'high yield plantations' with rotation ages varying between 30 and 50 years of age (also termed 'economic rotations').
The goal of the sequential thinning strategy (STS) of stand management is to develop and rigorously test an alternative operational forest management strategy in its ability to facilitate both ecological and resource sustainability while being immediately cost effective and producing high rates of future investment returns. To achieve this goal, the STS has the following objectives as compared to short rotation clearcut/variable retention silvicultural systems:
improve the cumulative volume and value yields and return on investment of timber from coastal forests;
simultaneously maintain or improve stand- and landscape- level biological habitat and diversity.
The sequential thinning strategy has two principal components:
the development planning strategy;
the stand management strategy.
The development planning strategy (DPS) is a planning step that sets the context for stand management activities within the landscape in which smaller scale operating (standard) units occur. Principally, this step sets out fixed units for efficient integrated resource administration and facilitates a precisely calculated estimation of future timber yield from each operating unit. The operating units would generally consist of variably sized stands of approximately one-quarter to five hectares. The DPS also involves the designation of stand-level habitat reserves. The designation of operating units and habitat reserves creates discreet and constant units with specific management objectives. The size and shape of operating units will depend on specific site and stand characteristics, physical operating constraints and regeneration objectives.
The goal of the stand management strategy (SMS) is to create a multi-layer, multi-species and multi-aged stand that mimics naturally occurring late seral and old-growth stand characteristics, while maintaining timber volume and value yields and a positive return on investment. The SMS involves the creation of site-specific stand management regimes of sequential thinning that specify the following for each operating unit:
species composition of retained and regenerating trees;
relative densities (trees per unit);
canopy layers;
projected tree growth rates across each canopy layer;
cutting cycle lengths (projected re-entry time frames).
The stand management regimes depend intimately on the existing site and stand-specific characteristics.
Under the STS, stand development is managed with the objective of maximizing the species richness of native trees present within any operating unit but not necessarily equal timber volumes or numbers of each tree species. The retention, regeneration and growth rate objectives for each species are established in accordance with each species silvicultural characteristics, within the relevant biogeoclimatic variant and site-specific edatopic grid (i.e., soil moisture and nutrient regime) (Green and Klinka 1994).
Operating unit designations and habitat reserves, combined with site-specific stand management regimes, will create a mosaic of stand structures and age classes across the forest land base with late seral and old-growth characteristics generally comprising the majority of the operable area within a particular resource supply area.
The stand management strategy has three main sub-components:
a) A long rotation (150-200 years), variable density, multi-entry 'thinning-from-below' (removing least vigorous and unhealthy stems) strategy for timber production from the 'primary' species in the dominant and co-dominant canopy layers (i.e., the overstory). The ratio of crown height to total tree height should be maintained in the 30 - 50% range in order to balance volume accrual and tree value. This maintains individual tree growth rates until trees reach biological maturity and their average maximum size for a given site.
b) A simultaneous strategy for variable density management of a multi-layered, multi-aged and mixed species ('secondary' deciduous and coniferous) understory (i.e., the co-dominant, intermediate, understory and regenerative canopy layers). This sub-component strategy utilizes the single or multiple tree gaps in the overstory to accelerate the growth and development of a multi-species understory while maintaining relatively favourable conditions for understory development. Of particular importance are deciduous species and especially red alder and bigleaf maple for maintaining or improving site productivity.
c) A strategy for the continuous management through each cutting entry and overall rotation of wildlife trees and coarse woody debris (i.e., both dispersed and aggregate retention). Wildlife trees and CWD of various species, size classes and stages of decay are a essential component of forest ecosystems and for maintaining site productivity (Ministry of Forests and Ministry of Environment, Lands, and Parks 1995).
All retained trees are individually selected in each stand for one or a combination of their timber, wildlife, site-productivity and species diversity values. When selecting for timber production site- and stand-specific density management and individual tree selection allows the forest manager to specifically retain the most vigorous overstory trees on the best microsites in a given operating unit.
Where all management species are relatively shade tolerant, each canopy layer can be thinned at each cutting entry and selected trees grown through their entire rotation length. Therefore, it is feasible to create the perpetual continuation of sequential thinnings (i.e. cyclic management) on two to five canopy layers. The progressive thinning from below at discreet and optimal intervals is the central strategy here, giving rise to the term 'sequential thinning'.
Cutting cycle length and stand growth rates are directly related to site productivity, stand density, tree height and diameter and volume removal and at each cycle. For industrial operations, it is estimated that cutting entries would generally be between 25 and 50 years (approximately one-third of culmination-age rotation lengths) to be maintained at stand densities around the point of maximum productivity for a given site (maximum periodic annual increment). However, for small-scale and intensive forestry, management regimes with shorter cutting cycles and smaller volume removals at each entry may be devised.
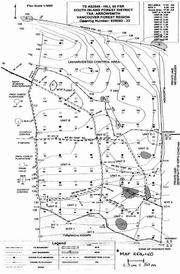
The operational research site is located in the Cowichan Valley, Vancouver Island, British Columbia on Provincial Forest (public) land currently managed under the BC Ministry of Forests, Timber Sale Program (Figure 1 and 2). It is located in the very dry Coastal Western Hemlock Biogeoclimatic Subzones (CWHxm1) (Green and Klinka 1994). The fieldwork was conducted from November and December 2001. Residual tree data entry, mapping, road design and cruise compilations were completed by April 2002.
Figure 1: Aerial Photograph of the Operational Research Area TS A52648

Figure 2: Map of the Operational Research Area - TS A52648

Standard operational forestry materials were used in the design and engineering of the site, including: Suunto clinometer, handheld compass, 50 meter tight chain, laser range finder, diameter tape, boy's axe, 1.5 meter metric scale stick, tree marking paint, flagging tape and aluminum station tags.
Roads and cutting areas were designed and surveyed using standard methods. In addition, the area was surveyed on a 50-meter transects with a fixed station point established every 50 meters. Full measure variable radius cruise sample plots (BAF 9.0) and 12.62 meter fixed radius sample plots were taken every 100 meters along the grid. Variable radius count plots were taken at every other station point. The variable radius cruise was compiled by operating units and general timber types, with and without count plot data and for both harvest and leave (residual) trees (e.g. Figures 1,2,3). As well, sample increment cores from the average diameter dominant leave tree were taken at each full measure plot (Figure 4).
Figure 3: TS A52648 Unit A - Medium Productivity Site

Figure 4: Unit A - Example Increment Core

Complete residual tree data was recorded during tree marking (mark to leave) and entered into the integrated spreadsheet system (e.g. Tables 1,2,3). Species counts and breast height diameters by 5-centimeter diameter class and canopy layer. Mean heights by species and diameter class were correlated using the measured cruise sample heights. Currently, the system is designed to manage twelve tree species over six canopy layers (dominants, co-dominants, intermediates, understory, regeneration and wildlife trees). These spreadsheets allow for predictions of volume and value yields from average diameter and height growth estimations by species and canopy over the projected cutting cycle. All volume calculations are species specific using a modified Newton's equation correlated to BC MOF individual tree volume tables. Operating units may be surveyed at specific intervals (e.g., every five years) between cutting cycles to adjust volume and value yield projections. In this manner, each unit becomes its own site-specific adaptive management experiment/trial. Specific growth rates in each operating unit can then be summed to give a precise estimation of future yields in a timber supply area.
Table 1: TS A52648 ISDS Residual Trees Per Hectare Summary By Canopy Layer - Full Population Data
| |
UNIT |
|||||||||||
|
CANOPY LEVEL |
A |
B |
C |
D |
E |
F |
G |
H |
I |
J |
K |
L |
|
DOMINANTS |
168.5 |
121.2 |
131.4 |
10.8 |
185 |
82.4 |
0 |
159.7 |
17.6 |
98.1 |
0 |
99 |
|
CO-DOMINANTS |
12.2 |
10.8 |
45 |
18.9 |
130 |
8.4 |
0.6 |
63.6 |
2.4 |
46.2 |
0 |
7 |
|
INTERMEDIATES |
9.7 |
9.4 |
16.6 |
35.1 |
20 |
10.1 |
7.1 |
101.3 |
20.5 |
73.6 |
5 |
58 |
|
D+C+I |
190.2 |
141.4 |
192.9 |
64.8 |
335 |
101 |
7.7 |
324.7 |
40.5 |
218 |
5 |
164 |
|
UNDERSTORY |
36 |
14.7 |
13 |
13.5 |
30 |
8.4 |
4.7 |
193.5 |
10.5 |
141 |
4 |
24 |
|
REGENERATION |
0 |
0 |
0 |
0 |
0 |
0 |
0 |
0 |
0 |
0 |
0 |
0 |
|
U+R |
35.9 |
14.9 |
13.1 |
13.5 |
30 |
8.4 |
4.7 |
193.5 |
10.5 |
141 |
4 |
24 |
|
D+C+I+U+R |
226.1 |
156.3 |
206 |
78.3 |
365 |
109 |
12.4 |
518.2 |
51 |
358 |
9 |
188 |
|
WILDLIFE TREES |
3.7 |
4.7 |
8.3 |
10.8 |
10 |
6.7 |
7.1 |
26 |
6.2 |
14.2 |
2 |
4 |
|
Grand Total |
229.8 |
161 |
214.3 |
89.1 |
375 |
116 |
19.5 |
544.2 |
57.2 |
372 |
11 |
192 |
Table 2: Example Volume Yield Prediction Spreadsheet (abridged) generated from the Integrated Stand Data Spreadsheet System (ISDS) from precise residual tree population data on a 64-year old stand at the trial site - Unit A- 'Medium' site (Site Index of 32m at 50 years). Regeneration has not been included in this example.
|
UNIT |
A |
AREA |
4.03 |
ha |
|
|
|
|
|
| |
NEXT ESTIMATED CUTTING ENTRY (yrs): |
30 |
|
|
|
||||
|
CANOPY LEVEL |
DENSITY Stems/ha |
DBH W. Av. cm/tree |
HT |
RADIAL INCR. cm/tree/yr |
HT. INCR. m/tree/yr |
END DBH cm/tree |
END HT. m/tree |
VOL GAIN m3/ha |
GROSS MAI m3/ha/yr |
|
DOMS |
168.5 |
46.52 |
38.06 |
0.22 |
0.25 |
59.72 |
45.56 |
251.07 |
8.37 |
|
CO-DOMS |
12.2 |
27.64 |
24.59 |
0.22 |
0.25 |
40.84 |
32.09 |
7.81 |
0.26 |
|
INTER |
9.7 |
15.96 |
12.26 |
0.22 |
0.3 |
29.16 |
21.26 |
2.72 |
0.09 |
|
SUBTOT 1 |
190.2 |
45.14 |
35.89 |
|
|
|
|
261.59 |
8.72 |
|
U-STORY |
36 |
5.53 |
5.14 |
0.3 |
0.5 |
23.53 |
20.14 |
9 |
0.3 |
|
REGEN |
0 |
0 |
0 |
0.3 |
0.5 |
18 |
15 |
0 |
0 |
|
SUBTOTAL 2 |
35.9 |
0 |
5.15 |
|
|
|
|
9 |
0.3 |
|
SUBTOTAL 3 |
226.1 |
40.68 |
31.01 |
|
|
|
|
270.59 |
9.02 |
|
W TREES |
3.7 |
51.71 |
39.13 |
0.3 |
0.2 |
69.71 |
45.13 |
7.73 |
0.26 |
|
G. TOTAL |
229.8 |
40.68 |
31.94 |
|
|
|
|
278.32 |
9.28 |
*Please note that due to a lack of space this is an abridged table. Projected end diameters and heights are calculated over the 30-year projected cutting entry period. All species have specific merchantable volume equations based on Newton's formula and correlated to BC Ministry of Forests Individual Tree Volume Tables. A loss factor due to decay and tree mortality is included in the spreadsheet system and estimated to be generally 10-15% of gross volume gain. As a comparison, the Ministry of Forests' managed stand yield table estimates a mean annual increment on culmination-age clearcut rotations to be 7.2 cubic meters per hectare per year over 90 years (B.C. Ministry of Forests 2001b).
Table 3: Unit A - ISDS Residual Tree Population Data - Species Volume Per Hectare by Canopy Layer
|
EXISTING RESIDUAL TREE WEIGHTED AVERAGE VOLUME PER HECTARE (m3/ha) |
|||||||||
|
CANOPY LEVEL |
Df |
Hw |
Bg |
Cw |
Dr |
Mb |
Ct |
Dg |
TOTAL |
|
DOMINANT |
232.54 |
0.00 |
0.00 |
0.00 |
0.00 |
0.00 |
0.00 |
0.00 |
232.54 |
|
CO-DOMINANT |
0.21 |
0.00 |
0.46 |
0.00 |
0.91 |
2.63 |
0.00 |
0.00 |
4.21 |
|
INTERMEDIATE |
0.00 |
0.19 |
0.26 |
0.01 |
0.00 |
0.08 |
0.00 |
0.10 |
0.65 |
|
TOTAL D+C+I |
232.75 |
0.19 |
0.72 |
0.01 |
0.91 |
2.70 |
0.00 |
0.10 |
237.38 |
|
UNDERSTORY |
0.00 |
0.00 |
0.09 |
0.00 |
0.00 |
0.01 |
0.00 |
0.00 |
0.10 |
|
REGENERATION |
0.00 |
0.00 |
0.00 |
0.00 |
0.00 |
0.00 |
0.00 |
0.00 |
0.00 |
|
TOTAL U+R |
0.00 |
0.00 |
0.09 |
0.00 |
0.00 |
0.01 |
0.00 |
0.00 |
0.10 |
|
TOTAL D+C+I+U+R |
232.75 |
0.19 |
0.81 |
0.01 |
0.91 |
2.71 |
0.00 |
0.10 |
237.48 |
|
WILDLIFE TREES |
6.27 |
0.00 |
0.00 |
0.00 |
0.00 |
0.00 |
0.00 |
0.00 |
6.27 |
|
GRAND TOTAL |
239.02 |
0.19 |
0.81 |
0.01 |
0.91 |
2.71 |
0.00 |
0.10 |
243.75 |
Df: Douglas-fir
Hw: Western Hemlock
Bg: Grand-fir
Cw: Western red cedar
Dr: Red Alder
Mb: Bigleaf maple
Ct: Cottonwood
Dg: Pacific dogwoo
It is estimated that the area was originally clearcut harvested in the late 1920s or early 1930s with only a few trees retained. There is evidence of fire and likely regenerated naturally following a post harvest fire. The area has a gently sloping (0-5%) southerly aspect and a veneer to blanket of sandy loam soil with moderate coarse fragment content over compact basal till. Humus form varies from a shallow mor to a moder-mull depending on soil moisture content and tree species composition. The average age of the overstory layer is 64 years (breast height adjusted). In the net harvest area there are 10,937m3 of net merchantable timber (90% Douglas-fir, 4% grand-fir, 2% western red cedar, 2% red alder, 2% bigleaf maple and < 1% western hemlock), based on 12.0 cm diameter at breast height on 17.61 hectares (full measure variable radius plots). Eleven (11) tree species (those listed above plus western white pine, cottonwood, dogwood, cascara, bitter cherry) have been identified on the net harvest area and are to be managed over six canopy layers in twelve (12) operating units (Units A - L). Site productivity ranges from medium to good (site indices between 32 - 36 meters/50 years). Four units are designated as patch cuts (D, G, I, K) for forest health and species composition conversion, comprising 4.5 hectares (with individual or aggregate tree retention) and eight are sequential thinning units, comprising 13.11 hectares. There are three designated wildlife tree patches (habitat reserves) comprising 2.66 hectares (15.1% of the 20.33 hectares gross area). Over the entire net harvest area with roads and operational clearings, the cruise survey (full measure variable radius plots) estimates 4,827m3 of net merchantable timber (44.1%) to be harvested.
The area has 86% of its volume comprised of standard sawlogs ('I' and 'J' BC Ministry of Forests grades) worth less than $100 per cubic metre on the Vancouver Log Market (B.C. Ministry of Forests 2001a). The remaining volume on site is in 'utility and 'chipper' grades. Assuming some dead limb-pruning on the overstory trees (during harvesting, natural pruning and potentially prescribed), carrying stands over the next cutting entry at the projected growth rates it is anticipated that produce a majority of lower stem volume in high-grade timber ('D' and 'F' BC Ministry of Forests grades) with a current selling price of approximately $400 per cubic metre. In addition, the management of a multi-layered and multi-species stand will improve overall primary product (log grade) diversity as compared to current short rotation clearcut practices.
The approximate cost for the area was $30,000 including staff time and contract expenditures.
To date the area has not been tendered for sale or harvested. It is estimated that it will yield between $30 and $50 per cubic meter in total stumpage (upset plus bonus bid) as a competitive standing timber sale (road construction and deactivation included). The University of Victoria, BC has expressed interest in the site and surrounding area as a long-term research forest under the Restoration of Natural Ecosystems program. Understory vegetation and other ecological data collection need to be completed before harvesting.
A scientific and adaptive management framework for the planning and implementation of ecosystem-based management strategies in BC is critical to quantify and explore the associated uncertainties; especially the potential consequences on stand productivity associated with multiple entries on any one unit (e.g., effects of soil compaction, tree damage, disease, blowdown, etc.).
However, these uncertainties should not detract managers from innovation. Sequential thinning will not fail if some of the units do not perform as well as anticipated, and it is unreasonable to assume the majority of stands will suffer some sort of catastrophic event and stop growing. The size of the operating units allows managing for complexity across the landscape and creates a well-buffered and robust system. Moreover, a sequentially thinned stand represents immediate capital in the 'forest bank account', leaving all options open for future forest management strategies.
Furthermore, it is critical to investigate the effectiveness of similar eco-system based management strategies in the remaining coastal old growth forests.
Site and stand specific, ecosystem-based, rigorously designed and measured forest management strategies can provide sustainable timber volume and value yields while maintaining biological habitat and diversity. They also appear to be immediately profitable under current competitive standing timber sales in coastal British Columbia in merchantable second growth Douglas-fir stands.
B.C. Ministry of Forests. 2001a. Log and Lumber Selling Price System. Revenue Branch, Victoria.
B.C. Ministry of Forests. 2001b. Growth and yield modeling: TIPSY. http://www.for.gov.bc.ca/research/gymodels/TIPSY/
B.C. Ministry of Forests. 2000. Forest Practices Code of British Columbia: Vancouver Island Land Use Plan - Higher Level Plan, Victoria.
B.C. Ministry of Forests and B.C. Ministry of Environment, Lands, and Parks. 1995. Forest Practices Code of British Columbia: Biodiversity Guidebook. B.C. Ministry of Forests and B.C. Ministry of Environment, Lands, and Parks, Victoria.
Beddows, D., 2002. Levels-Of-Growing Stock Cooperative Study in Douglas-fir: Report No. 16 - Sayward Forest and Shawnigan Lake. Natural Resources Canada, Information Report BC-X-393, Victoria 67 p.
Green, R. and K. Klinka. 1994. A Field Guide to Site Identification and Interpretation for the Vancouver Forest Region. Land Management Handbook 28. B.C. Ministry of Forests, Victoria.
Wilkinson, Merv., 2000 pers. comm. Wildwood Forest, Cedar, British Columbia
| [1] 2954 Sherman Road, North
Cowichan, B.C. V9L 2B6. Tel: 250 748 2866 ; Email: [email protected] |