Previous PageTable Of Contents


5. DESCRIPCIÓN DE LAS FUENTES DE SEMILLA

Fuente de semilla: Nazir Hat, Bangladesh

Red Internacional del Neem, Procedencia nº: 01/BDG/Naz

Especie: Azadirachta indica (botanical), neem (vernacular)

Propietario o persona de contacto: Different farmers/ Bakhtiar Hossain, Forest Range Officer, Nazir Hat Forest Range Office in Nazir Hat Chittagong Division.

Autores del informe: Dr. M. Faizuddin, Peter Ochsner, Agnete Thomsen

Fecha de descripción de la fuente de semilla: 30.11.94

Situación ( Mapa 1 / Mapa 2 )

Latitud:22º38'N

Longitud: 91º44' E

Altitud: 15-25 m.a.m.s.l.

País: Bangladesh

Provincia: Chittagong

Unidad administrativa: Chittagong Forest District

Descripción detallada sobre cómo llegar al lugar y descripción de la carretera de acceso: The seed source consists of several scattered groups of neem. The main part of the seed source is near the Oodahela Tea Estate. To reach this part follow the road from Chittagong 33 km towards the north to Nazir Hat. At the boarder of the city, you pass the Forhadabad High School on your left hand. Leave the paved road and turn to the left 10 meters after. Follow the road and 1.3 km after you will cross the railway, continue another 2 km and cross the small bridge to the factory of the Oodehela Tea Estate. 200 m from here along the road the corner of this part of the seed source is defined by the road and a path going to the right towards the village.

To reach the other part of the seed source you will have to follow the road from Chittagong towards the north to Nazir Hat, pass the Forhadabad High School on your left hand and follow the road another 2 km to the Forest Range Office appears on your left hand side. From here you can walk to the Nazir Hat Railway Station along the small path.

The area is accessible all year.

Límites naturales: The limit of the seed source towards southeast is the access road. To the west the area ends at the planted forest. The railway delineates the seed source towards East and the source ends at the Nazir Hat Railway Station. From this point there is no natural boundary, however the seed source ends towards North at a line straight West from the Nazir Hat Railway Station.

Descripción de la estación

The site is mainly flat land with paddy fields and home homesteads in between. The village within the main part of the seed source is located slightly higher at some small hills. The trees are found at all aspects.

The soil is brown clay loam with small spots of reddish soil. The soil structure is fine and the drainage is generally good, however, in some parts of the area, the trees are found near the ponds where the soil is more waterlogged and drainage is poor.

There is no nearby contaminating seed sources , i.e. no plantings with introduced material in the vicinity of the area.

Clima

Precipitación media anual: Around 2800 mm with a drier season from September to April.

Temperatura media anual: 25,7ºC

Estación climatológica: Chittagong

Descripción del rodal

Total area is approx. 400 ha. The stand is uneven aged with trees ranging from 0-60 years. Villagers say that neem has come by it self, and that it is not planted. Natural regeneration is present. Planted species in the area include banana, mango and Albizzia sp. Neem trees were found in homesteads and scattered throughout the area. A more dense area with an extension of 7 ha is located near the Oodahela Tea Estate.

The majority of the trees are healthy with a dominant or co-dominant crown development. The stemform is generally straight. Mean height of dominant trees varies between 7 and 12 m. Some trees outside the central part of the seed source are heavily pruned.

Producción de semilla

Villagers estimate that each tree yields around 7 kg every year. There is no use of neem seed in the tribal village. In the homesteads, neem is used for several purposes including toothbrushes, but the seed is not used. Seed collection will be permitted by the villagers.

Seed collection period is May-June.

Disponibilidad de mano de obra

Labour is easily available from the tribal village in the main part of the seed source.

Conservación

It seems that the neem is not under pressure in the area. In addition, the forest guard lives next to the tribal village in the central part of the seed source.

Seed source: Chapai Nawabganj, Bangladesh

International Neem Network Provenance no: 02/BDG/Cha

Species: Azadirachta indica (botanical), neem (vernacular)

Owner/contact person: Various farmers who own the homesteads
Mr. Badruddin Ahmed, Range Officer at Chapai Nawabganj Forest Extension, Nursery and Training Centre.

Report authors: Dr. M. Faizuddin, Bangladesh Forest Research Institute.
Peter Ochsner, Danida Forest Seed Centre.

Date of seed source description: 30.11.94

Location ( Map 1 / Map 2 / Map 3 )

Latitude: 24º 41' N

Longitude: 87º 54' E

Altitude: 17 m.a.m.s.l.

Country: Bangladesh, Rajshahi Division.

Adm. unit: Bogra Forest Circle, Rajshahi Forest Division.

Detailed description of how to reach location and access road description: Chapai Nawabganj is situated approx. 45 km northeast of Rajshahi. The road to Sibganj is followed through Chapai Nawabganj, just after the new bridge over the Mahananda river is crossed, the village of Barogharia is reached. The village comprises the provenance stand. Access is via a metalled road to the stand.

Natural boundaries: The village of Barogharia comprises the provenance stand in accordance with the sketch map. On the western and eastern side of the village there are mango orchards, on the southern side is the river.

Site description

The area consists of flat land approx. 8-10 m above the river.

The soil is grey clay of alluvial origin, with a very fine structure and medium to good drainage. Distance to ground water is approx. 10-12 m.

Climate

Annual rainfall: mim. 923 mm
mean 1540 mm
max. 1919 mm

Mean annual temperature: 30 year data from Rajshahi 45 km to the southeast.

Dry season : 6 months of dry season from October to end of March.

Stand description

Total area is approx. 21 ha. Age of the trees varies from 0 to 40 years. Apparently all trees are from natural regeneration. In parts of the stand there is abundent natural regeneration.

The trees were found in homesteads with 5-10 trees per homestead, probably up to 250 trees altogether within the stand.

The larger trees were 14-16 m high, with diameter at breast height from 35-45 cm. The trees were healthy, unpruned, and reasonably straight with an open crown. In the homesteads they were found together with mango, bamboo, jackfruit and guava.

Seed production

On average each tree will produce an estimated 10kg of seed per year, which means that up to 2500 kg of seeds can be harvested annually. Seed collection period is mid-June to mid-July. There should be no problem in obtaining permission to collect seed from the homestead owners.

Labour availability

Labour is available from Chapai Nawabganj Forest Extension, Nursery and Training Centre.

Conservation

Presently no need for conservation.

Extension of seed source

The seed source can be extended to nearby villages or to the town of Chapai Nawapganj if required.

Seed source: Mandor, India

International Neem Network Provenance no: 03/IND/Man

Species: Azadirachta indica (botanical), neem (vernacular)

Owner/contact person: Director, Arid Forest Research Institute, P.O. Krishi Mandi, Bhagai Kg Kothi, Jodhpur

Report authors:

Date of seed source description:

Location ( Map 1 / Map 2 )

Latitude: 26º18' N

Longitude: 73º 01' E

Altitude: 224 m.a.m.s.l.

Country: India

Province: Rajasthan

Adm. unit: Jodhpur

Detailed description of how to reach location and access road description: Follow Mandor Road from Paota to Mandore via B.S.F area and continue into Mandore gardens. RRS (RAU) and GSTC after reaching Guaganagar Sugar Mills (Mandore). Or else contact Director, AFRI for location of seed source.

Natural boundaries: A hilly tract on one side of the locality. No other natural boundary.

Site description

The site is medium sloping, otherwise flat.

The soil is sandy loam; loam and well drained.

Climate

Mean annual rainfall: 373mm with a dry seson from September to June

Mean annual temp.: 27.4ºC

Stand description

The stand is planted with seed from a local source. The trees are located 100m to 600 m from each other. The various locations are separated by more than a kilometre. The trees are uneven aged (20-40 years) with a height of 8-10 m. Crown development is dominant and stem form is mainly straight. The general condition is healthy and unbrowsed.

Distance to nearest stand of same species is more than one km.

Seed production

Flowering period is from April-May. Fruiting period from mid June-mid July. Seed production is 20 kg-25 kg seeds per tree.

Labour availability

Unskilled and semi-skilled labour is easily available from the villages of Magra Punjla, Chainpura etc. which are 2-4 km from the stand.

Conservation

There is no need for protection and management.

Seed source classification

Unclassified seed production area.

Seed source: Chitradurga, India

International Neem Network Provenance no: 04/IND/Chi

Species: Azadirachta indica (botanical), neem (vernacular)

Owner/contact person: Range Forest Officer, Molakalmur Range, Bellary Div. Karnataka, India

Report authors: S.H. Jain, Institute of Wood Sciences & Technology, Bangalore 560 003

Date of seed source description: 11.07.94

Location ( Map 1 / Map 2 )

Latitude: 14º 02'N

Longitude: 74º 06' E

Altitude: 615 m.a.m.s.l.

Country: India

Province: Chitradurga

Adm. unit: Bellary, Molakalmur

Detailed description of how to reach location and access road description: Chitradurga to Bellary Road. Map ref: Survey of India, Molakalmur Tq., Chitradurga Dist.

Access to the site is all year.

Natural boundaries: Agricultural fields

Site description

The topography is gentle, plain terrain.

Soil type is block cotton with a gravelly structure and well drained. pH=7.8

Climate

Mean annual rainfall: min: 300 mm
mean: 417.4 mm
max: 600 mm

Mean annual max temp.:36ºC

Mean annual min. temp.:19.5ºC

Dry months from March to June.

Stand description

The stand covers a total area of 20 hectares. The stand is uneven aged with trees ranging from 1-60 (40-60) years. Height ranges from 10-12 m, diameter from 20 to 30 cm.

Trees are found in a density of 8 per hectare. Most trees are healthy with a dominant crown development and straight stems.

Other important species in the area are Acacia nilotica, Tamarindus indica, Prosopis juliflora. The trees are delineating agricultural fields and a few scattered roadside trees are also found. Distance to nearest stand varies from 0-150 m.

Seed production

The flowering period is from March to April, with fruiting from the end of June to July. 80% of the trees were flowering/fruiting. Seed production capacity was 2 kg/tree

From 5/7-94 to 6/7-94, 30 kg of seed was collected from 30 trees.

Labour availability

Labour available is daily wage labour on contract.

Conservation

Continuous.

Seed source classification

The stand is a seed production area and it is planted from local seed sources (indigenous).

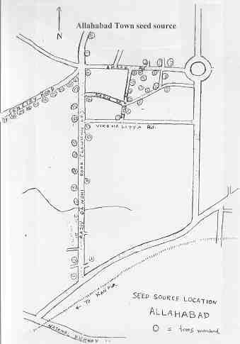
Seed source: Allahabad Town, India

International Neem Network Provenance no: 05/Ind/All

Species: Azadirachta indica (botanical), neem (vernacular)

Owner/contact person: U.P. Forest Department, Allahabad

Report authors: R.K. Tivari, Scientist (M.Sc)

Date of seed source description: July 1995

Location ( Map 1 / Map 2 / Map 3 / Map 4 )

Latitude: 25º28' N

Longitude: 81º 54' E

Altitude:320 m.a.m.s.l.

Country: India

Province: Uttar Pradesh

Adm. unit: Allahabad

Detailed description of how to reach location and access road description: Plantation at road sides, New Cant, Rajiv Gandhi Road, Cemetery (Nirwan) Rd, Temple Rd., Akbar and Kabir roads, between Allahabad to Bamarauli via PD. Tandon Road.

Map reference: 63-G (Survey of India)

Accessibe throughout the year.

Natural boundaries: The seed source extends to PD. Tandon Road.

Site description

The topography is flat, with a gentle slope towards the south-east. Soil is alluvial loam and well drained.

Climate

Rainfall: min: 800 mm
mean: 910 mm
max: 1020 mm

Dry season from March to June

Temperatures:min: 06º C max: 46ºC

Stand description

A natural plantation covering a total area of 12 hectares, established over a 10 year period from 1955-1965.

Associated species found are Ficus spp., Dalbergia sissoo, Tamarindus indica.

The trees are unevenly distributed over the area.

Trees are even aged, healthy with a dominant crown development, medium stem form and height of 10-12 m.

Other stands of neem are found along nearby roads, but these stands have a lower density.

Seed production

Permission for collection is required from local defence authorities and forest department. Flowering period from March to April with fruiting from June to July. Percentage of trees flowering/fruiting is 65%.

Labour availability

Labour can be engaged from Allahabad town or nearby villages of Peepal Gaon, Bamarauli, 3 km away. Requirement is 6-8 casual labourers on daily wages. The area is managed by the Forest Department.

Conservation

The seed source extends to PD Tandon Road.

Seed source classification

The seed source is unclassified, identified stand with seed zone no. UP-IX. Origin = indigeneous.

Seed source: Annur, India

International Neem Network Provenance no: 06/Ind/Ann

Species: Azadirachta indica (botanical), neem (vernacular)

Owner/contact person:

Report authors:

Date of seed source description: 28-06-94

Location ( Map 1 / Map 2 / Map 3 )

Latitude: 11º 17'N

Longitude: 77º 07' E

Altitude: 360 m.a.m.s.l.

Country: India

Province: Tamil Nadu

Adm. unit: Coimbatore

Detailed description of how to reach location and access road description: Coimbatore to Sathyamarigalam (at about 40 km mark). 8 km from Annur between Annur and Puliampatti.

Map ref: 58-E/3 (Survey of India)

Accessible all year.

Natural boundaries: Agricultural fields

Site description

The topography is gentle, undulating terrain. The soil type is gravelly sandy loam (alfisol).

The vegetation type is southern, thorn scrub forest.

Climate

Rainfall: min: 750 mm
max: 1000 mm

Dry season from March to June.

Stand description

The total area covers 17 hectares which has been established over a period of 40 years. The area is deliniated by agricultural fields. The establishment method has been partily natural, parly planted and partly sown with seed. Neem is associated with Acacia leucophloea. There is an average of 8 trees per hectare. The trees are healthy with a dominant crown development. Stem form is medium, with 3-4 m of clear bole.

Seed production

No collection permit required.

The flowering period is March to April with fruiting end of June to July. Flowering/fruiting percentage is 80.

Labour availability

Daily wage labour can be acquired from Pongalur which is less than 1 km away.

Protection and management needs are on contract.

Seed source extension is continuous.

Conservation

-

Seed source classification

Identified stand - seed zone TN-IX.

Details of origin

The identified stand is made up of natural regenerated material and planted material of local origin. The entire stand is represented in the seed collection.

Seed source: Ghaati Subramanya, India

International Neem Network Provenance no: 07/IND/Gha

Species: Azadirachta indica (botanical), neem (vernacular)

Owner/contact person: Forester, Ghatti Syubramanya, Forest Nursery, Dodaballapur Range, Bangalore Division, Karnataka, India

Report authors: S.H. Jain

Date of seed source description: 27-07-94

Location ( Map 1 / Map 2 )

Latitude: 13º 22' N

Longitude: 77º 34' E

Altitude: 950 m.a.m.s.l.

Country: India

Province: Karnataka

Adm. unit: Bangalore Division, Dopddaballapur Range

Detailed description of how to reach location and access road description: Bangalore - Doddaballapur - Ghatti Subramanya Road. Accessible all year

Map ref: 57 G/11 (Survey of India)

Natural boundaries: Agricultural fields.

Site description

The topography is gentle, plain terrain. The soil is red sandy loam (pH=5.8-6.5) with a fine structure and well drained.

Climate

Rainfall: mean: 741.2 mm

Temperature: min: 19.8ºC
mean:
max: 29.7ºC

The nearest weather station is at Doddaballabur.

Stand description

The area covers a total of 20 hectares, established over 60 years.

Associated species are Ficus sp., Eucalyptus, Tamarindus indica with 2 trees per hectare.

The age of the trees is uneven. Generally the trees are healthy with medium stem form.

Distance to nearest stand of same species is approx. 150 m.

Seed production

Collection permit required by Director, Institute of Wood Science and Technology, Bangalore-3.

Flowering period is from March to April with fruiting end of June to July. The flowering/fruiting percentage is 80. Seed production capacity is 2 kg/tree.

Labour availability

Labour is available from neighbouring villages of Ghatti Subramanya, Tubagere, Nellugudige, Nagenshalli and Palapaldinne. The nearest village is 2 km away. The labourers will earn a daily wage.

Protection and management will be carried out on a contract basis.

Conservation

Continuous.

Seed source classification

The seed production area and provenance seed stand originates from natural regeneration and from plantings using local seed sources.

Seed source: Sagar, India

International Neem Network Provenance no: 08/IND/Sag

Species: Azadirachta indica (botanical), neem (vernacular)

Owner/contact person: Ex. Engineer, R&M, Public Works Department, Government of M.P., Sagar - 470 001

Report authors: Dr. Rama Pao and Dr. V. Nath

Date of seed source description: 30.06.95

Location ( Map 1 / Map 2 )

Latitude: 21º 51' N

Longitude: 78º 45' E

Altitude: 527.61 m.a.s.l.

Country: India

Province: Madhaya Pradesh

Adm. unit: Sagar

Detailed description of how to reach location and access road description: Chanatoria is 15 km from Sagar city on the way to Damoh (towards Eastern side). By air - New Delhi to Sagar; by road - Sagar to Chanatoria frequent transport services are available; by train - New Delhi to Sagar.

Map ref: 55 I/9 (Survey of India)

The neem tree stand is on the road side of Sagar-Damoh Road. Frequent transport services are available.

Natural boundaries: Small hillock towards West; surrounded by agricultural fields towards North, South and East.

Site description

The topography is gentle, undulating terrain, sloping mildly from West to East. The soil is red sandy laterite and in some areas red sandy loam. The area is generally degraded, rainfed and have poor drainage.

Climate

Rainfall: min: 800-900 mm
mean: 1405 mm
max: 1715 mm (1994) Temperature: min: 5.7ºC mean: max: 46.4ºC

Dry season falls from March to June.

Stand description

Total area 105 ha., established about 35 years ago (about 1960) on both sides of the road. The plantation is associated with species like Butea monosperma, Acacia nilotica, Terminalia arjuna, Carissa sp and grass.

The average density is 9 trees per hectare.

Seven groups have been selected in the area. Group to group distance is about 200m. Spacing in each group is 15 to 20 metres.

Healthy, even aged trees with dominant crown development and medium stem form. Average height is approximately 11m. Trees are healthy, free from diseases and pests. Planted on both sides of the road.

Distance to nearest stand of same species is 200-500m.

Seed production

Collection permit is required from Ex. Engineer, R&B, PWD, Sagar, M.P.

Flowering period is from 15 March to 10 April with fruiting from 20th June to 10th July. 95% of trees are fruiting. Seed production capacity per tree is 5-6 kg.

Labour availability

Sufficient number of labourers are available from villages of Chanatoria & Bamori, 1.5 and 2 km from the site. The wage is fixed on a daily basis.

Conservation

The area is fully protected by the R&B, PWD, Sagar, M.P.

Extension

Continuous toward West and East.

Seed source classification

Identified stand, seed zone no. M.P. XI. The stand has been planted using local seed source. The whole area is represented in the seed collection. Characters selected for are: branching pattern, height growth and crown form.

Seed source: Balharshah, India

International Neem Network Provenance no: 09/IND/Bal

Species: Azadirachta indica (botanical), neem (vernacular)

Owner/contact person: Logging Officer, State Forest Logging Depot, Balharshah, Maharashtra

Report authors: Bipin Behari, I.F.S., D.,C.F., Tropical Forest Research Institute, P.O. R.F.R.C., Mandla Road, Jabalpur - 432 021, M.P., India.

Date of seed source description: 30.06.95

Location ( Map 1 / Map 2 )

Latitude: 19º 51' N

Longitude: 79º 25' E

Altitude: 250 m.a.m.s.l.

Country: India

Province: Maharashtra

Adm. unit: Balharshah

Detailed description of how to reach location and access road description: 20 km from Chandrapur and 1 km from Balharshah railway station.

Map ref: 56 - M/I (Survey of India)

Natural boundaries: Natural forest, plantation, agricultural fields and small township.

Site description

Area is tropical dry deciduous type forest on gentle, plain terrain. Soil is sandy loam and well drained.

Climate

Rainfall: min: 850 mm
mean:
max: 1200 mm

The dry months are April to June.

Stand description

The total area covers 150 ha. which is about 40 years old. It is a pure stand of neem with an average spacing of 25 metres between trees.

The stand is uneven aged. Average height is approx. 17 metres.

Trees are very healthy, free from diseases and pests and with good crown development. 28 healthy trees have been selected and numbered.

Seed production

Collection permit required from Forest Logging Officer, Balharshah. Flowering period is from March to April with fruiting from June to July. Percentage of trees flowering is 90% and seed production capacity is 7-9 kg per tree.

Labour availability

Labour is available locally. Contact should be made to D.C.F., Transport and Marketing Div. The labour is daily wage and is available at a walkable distance from the site.

Conservation

The stand occurs in the forest timber/logging depot and it is fully protected.

Extension

Extension is continuous.

Seed source classification

Identified stand, seed zone M - V, and selected stand. The whole area is represented in collections, where selection is neutral. Characters selected for are clear-bole height, branching habit and crown form. The seed has not been tested.

Seed source: Ramannaguda, India

International Neem Network Provenance no: 10/IND/Ram

Species: Azadirachta indica (botanical), neem (vernacular), nimmo (oriya), neem (hindi)

Owner/contact person: Forest Range Officer, Grunupur Tahsil, Rayagada district, Orissa - 765 022

Report authors: Mr. I.L. Pache & Dr. N. Rama Rao

Date of seed source description: 10-06-95

Location ( Map 1 / Map 2 )

Latitude: 19º 05' N

Longitude: 83º 49 ' E

Altitude: 250 m.a.m.s.l.

Country: India

Province: Orissa

Adm. unit: Koraput

Detailed description of how to reach location and access road description: Ramannaguda is 49 km from Rayagada town, on the way to Grunupur. It is situated on Rayagada - Grunupur state highway.

Map ref: 5M 16 (Survey of India)

Access to Ramannaguda is on the road point situated on Rayagoda Grunupur state highway. Frequent transport vehicles are available.

Natural boundaries: The neem stand is located on the road side, surrounded by degraded forests and a continuous chain of hills.

Site description

The topography is gentle undulating terrain; on a degraded forest area. The soil is red sandy loam. The area is fertile but poorly drained; rainfed area.

The seed stand is located in Orissa; 5-7 km from Andhra border.

Climate

Rainfall: min: 850 mm
mean:
max: 1340 mm

The dry season falls from March to June.

Stand description

The total area is 20 hectares, established about 40 years ago from natural regeneration and planting with local seed source.

Associated important species are Terminalia sp. Struchnes sp., Shorea robusta, Adhuca longifolia, Mangifera indica, Butea monosperma, Syzygium sp.

There is an average of 3 trees per hectare of neem and 16 per ha for all species. Trees are evenly distributed over the area.

Trees are uneven in age, healthy, have dominant crown development and medium stem straightness. Average height is 11 m.

The general condition of the trees is healthy, free from disease and pests. Most trees are situated along road sides. 42 healthy trees have been selected and numbered.

Distance to nearest stand of neem is 200-500 m.

Seed production

No collection permit required. Flowering period 15-31 March, fruiting period 1-15 June. Percentage of trees flowering = 80-90%. Average seed production capacity per tree is 5 kg to 7 kg seed/tree.

Labour availability

Daily wage labour in sufficient numbers are available locally at Ramanna guda, which is a walkable distance from the village on road point.

Conservation

The identified stand is on road side and fully protected by Public Works Department (R&M) Rayagada, Orissa.

Extension

Continuous towards South-East and South.

Seed source classification

Identified stand, seed zone 0S II g. Origin for identified stand is natural regeneration and planting with local seed source. Collected material is representative of the whole area with a neutral selection. Characters selected for: clear bole height, branching habit and crown form.

Seed source: Vientiane, Lao P.D.R.

International Neem Network Provenance no: 11/LAO/Vie

Species: Azadirachta indica (botanical), Kom kadau (vernacular)

Owner: Various farmers.

Contact person: Mr. Doungphet Lattanasouk, Deputy Head of Nam Souang Silvicultural Research Centre.

Report authors: Doungphet Lattanasotik, Deputy Head of Nam Souang Silvicultural Research Centre. Peter Ochsner, Danida Forest Seed Centre.

Date of seed source description: 26-04-95

Location ( Map 1 / Map 2 / Map 3 )

Latitude: 18º 00' N

Longitude: 102º 45' E

Altitude: 180 m.a.m.s.l.

Country: Laos

Province:Vientiane Province

Adm. unit: Vientiane Province Forestry Division

Detailed description of how to reach location and access road description:
Vientiane, the capital of Laos P.D.R,,is located within the provenance seed stand.

Access road description: Most of the trees are found in villages situated along the main roads to Vientiane.

Natural boundaries: The Mekong river makes up the southern border, the northern border is located 80 km north of Vientiane on road No. 13, where the hills start. The eastern border is the province of Boli Kham Xai, located app. 50 km east of Vientiane on road No.13.

Site description

The area consists mainly of flat land used for paddy fields, interrupted by villages and uneven land used for grazing.

The soil is sandy loam, with good drainage. Distance to groundwater is approx. 4-8 m judged from deep wells in the area.

Climate

Rainfall: 1540 mm averaged over 38 year, data from Vientiane airport.

Dry season: 5 months of dry season from November to end of March.

Stand description

Total area is approx. 3000 km2. Age of the trees varied from 0 to 40 years.

The trees are only found in villages with normally 2-5 trees per village, but because the locals eat the flowers, it is difficult to find trees with enough fruit, and therefore the normal rate of success is about 1 tree pr. 5 villages. One exception from this pattern was that in the old village of Moung Kout with 12 trees. It was told that at least a couple of the trees were left with flowers on, because the flowers had a bitter taste. The fact that the trees are only found in villages indicates that the provenance is outside its natural distribution. There was good natural regeneration, and empty skins under every tree showed that the fruits were eaten by fruitbats which increases the possibility of seed dispersal.

Apparantly all trees were from natural regeneration, several was probably dug up in one place and then transfered to another, for example when a new village was established. 5 of the trees are located in tempel grounds.

The larger trees have a height of up to 15 m high, with diameters reaching 40 cm. The trees were healthy, heavily pruned due to flower harvest, and reasonably straight with an open crown.

Seed production

If trees are left unpruned they will yield betwen 5 kg and 15 kg of fruit which corresponds to 1-3 kg of clean seed (stones) per tree. Seed collection period is mid April to beginning of May. There should be no problem in obtaining permission to collect seed from the homestead owners.

Labour availability

Labour is available from Nam Souang Silvicultural Research Centre, and from the villages.

Conservation

Mr. Doungphet Lattanasouk from Nam Souang Silvicultural Research Centre will contact the farmers who own the trees that were collected from in April 1995. He will ask if trees can be left for seed production, and he will put up signs on the trees with number and a request to leave them unpruned. Judged from the responses eceived when doing seed collection, there should be no problem in obtaining such an agreement with the farmers.

Extension

The provenance seed stand comprises the main floodplain in which Vientiane is located, the floodplain is bordered by hills and by the Mekong river. It is therefore not feasible to extend the provenance seed stand.

Seed source: Yezin, Myanmar

International Neem Network Provenance no: 12/MYA/Yez

Species: Azadirachta indica (botanical), Tamar, Sartamar, Tamar kha (vernacular)

Owner/contact person: Head of Yezin village and land owners

Report authors: U Khin Maung Oo, FRI Myanmar

Date of seed source description: 15.09.94

Location ( Map 1 / Map 2 / Map 3 )

Latitude: 19º 51' N

Longitude: 96º30' E

Altitude: 100 m.a.m.s.l.

Country: Myanmar

Province: Mandalay

Adm. unit: Mandalay

Detailed description of how to reach location and access road description: Pyinmana to Yezin village (about 19.2 km by car). Approximately 20 minute walk to seed source area from the village. Accessible all year.

Map ref: 84 A/5 (2nd edition, published in Jan. 45)

Natural boundaries: Agricultural fields.

Site description

The topography is gentle sloping with a gravely sandy loam soil. Structure is granular and drainage good. Generally a good fertile soil for agricultural crops and trees.

Climate

Rainfall: min: 619 mm
mean: 1269 mm
max: 1736 mm

Seven months of dry season from November to May.

Stand description

The stand originates from natural regeneration (local source). Age of trees ranges from 10-30 years.

Associated species are Albizzia lebbek (Kokko), Miliusa velutina (Tabut gyi), Cassia siamea (Mezali), Leucaena glauca (Baw za-gaing), and Holoptelea intigrifolia (Phyauk seik).

The stand is delineated by agricultural fields and towards East by the Yezin Dam. A few trees are located as scattered trees in the agricultural fields.

The trees are uneven aged, healthy, with dominant crown development and medium stem form. Mean height is 9.4 m.

The conditions of the seed source is optimal for future seed collections.

Average distance to nearest stand of same species is 0-150 m.

Seed production

Permission for collection of seed is not required. Flowering period is from March to May with fruiting from May to July. 50% of the trees flower/fruit.

Labour availability

There is plenty of daily wage labourers available from Yezin village, less than 1 km away.

Conservation

It is necessary to request the head of village and land owners for protection from cutting.

Extension

Continuous.

Seed source classification

Identified stand with natural regeneration and indigenous planting. The whole area is represented in collections where selection is neutral. There has been no testing of the seed.

Seed source: Myene, Myanmar

International Neem Network Provenance no: 13/MYA/Mye

Species: Azadirachta indica (botanical), Tamar, Sartamar, Tamar kha (vernacular)

Owner/contact person: Head of Kanbya village and land owners

Report authors: U Khin Maung Oo, FRI Myanmar

Date of seed source description: 15.09.94

Location ( Map 1 / Map 2 / Map 3 )

Latitude:22º 03' N

Longitude: 95º 13' E

Altitude: 76 m.a.m.s.l.

Country: Myanmar

Province: Sagaing

Adm. unit: Sagaing

Detailed description of how to reach location and access road description: Monywa to Myene village (about 9.6 km by car). Approx. 10 minute walk to seed source area from the village. Access possible all year.

Map ref: 84 N/4 (3rd edition published August '44)

Natural boundaries: Agricultural fields, railroad, highway.

Site description

The topography is flat with a sandy loam, sandy clay type soil. The structure is granular and drainage good. Generally fertile soil for agricultural crops and trees.

Climate

Rainfall: min: 519 mm
mean: 809 mm
max: 1060 mm

The dry season is 6 months from November to April.

Stand description

The stand originates from natural regeneration and planting using local seed source. The stand has been established over a period of 10 to 30 years.

Associated species are Acacia leucophloea (Hanaung), Albizzia lebbek (Kokko), Calamus arborescens (Htan), Miliusa velutina (Tabut hyi), Cassia siamea (Mezali), Leucaena glauca (Baw za-gaing).

The stand is delineated by agricultural fields and a few trees are situated as scattered trees in agricultural fields.

The trees are uneven aged, healthy with a dominant crown development and medium stem form.

Mean height is 13.2 m.

Seed production

The general condition of the seed source trees is good for future seed collection.

Flowering period is March to May with fruiting from May to July. 50% of trees flower/fruit.

Labour availability

Nearest village is Myene village, less than 1 km away, where there is plenty of daily waged labour available.

Conservation

It is recommended to request the Head of village and land owners for protection from cutting.

Distance to nearest stand of same species is approx. 150 m.

Extension

Continuous

Seed source classification

Identified stand from natural regeneration and planting using local seed source. The whole area is represented in the seed collections. There has been no earlier testing of seed source.

Seed source: Lamahi, Nepal

International Neem Network Provenance no: 14/NEP/Lam

Species: Azadirachta indica (botanical), neem (vernacular)

Owner/contact person: -

Report authors: HB Thapa, Forest Research and Survey Centre, Babar Mahal, Kathmandu

Date of seed source description: July 1995; July 1998

Location ( Map 1 / Map 2 )

Latitude: 27º 52' N

Longitude: 82º 31' E

Altitude: 350-440 m.a.m.s.l.

Country: Nepal

Province: Mid-Western Development Unit

Adm. unit: Dang District

Detailed description of how to reach location and access road description: The site is located about 125 km to the west of Butwal town and 6 to 20 km to the west of Manahi market in the Bhabar region of Dang district, in the mid western region of Nepal.

Natural boundaries: Rihar village to the west, Rapti river to the south, natural forest to the north and Kaptangunj village to the east.

Site description

The topography is gentle (flat to moderate) and undulating terrain. The soil type is sandy loam with good drainage. pH is 6.93, and total N (%) 0.04.

Climate

The stand falls in the sub-tropical zone with a mean annual rainfall of 1500 mm. More than 80% of the rainfall occurs from June to October.

Nearest weather station: Gorashi, Dang District (elevation 634 m asl, mean daily temperature 21.7ºC, mean annual rainfall 1891 mm)

Stand description

Total area of stand is 1614 ha. Other associated species are Madhuca indica, Dalbergia sissoo, Shorea robusta and Acacia catchu.

Seed production

Seeds were collected in July 95 from 50 trees (3.5 kg per tree) located at least 50 m apart from one another. The percentage of trees with fruits was approximately 60.
Flowering period : March to April
Fruiting period : May to July
Seed production capacity per tree : approx. 2 kg (300 kg in the stand)
Collection permit required by User Group and tree owners

Labour availability

Unskilled and semi-skilled workers available at Rihar, Bijalipur, Bhatarkunda, Ganeshpur.

Conservation

-

Seed source: Geta, Nepal

International Neem Network Provenance no: 15/NEP/Get

Species: Azadirachta indica (botanical), neem (vernacular)

Owner/contact person:

Report authors: Mr HB Thapa, Forest Research and Survey Centre, Babar Mahal, Kathmandu

Date of seed source description: July 1995 - July 1998

Location ( Map 1 / Map 2 )

Latitude: 28º 46' N

Longitude: 80º 34' E

Altitude: 170 m.a.m.s.l.

Country: Nepal

Province:Far-Western development Region

Adm. unit: Kailali District

Detailed description of how to reach location and access road description: In the Terai region, stands are located at about 6 to 15 km to the south of Attaria market in Kailali district, Trees are located in the villages.
Access from Khatmandu-Attaria road, then Attaria to Geta. The stands begin at km 6 and are accessible all year round.

Natural boundaries: Agricultural fields on all sides. Trees have been planted by farmers.

Site description

The area is sub-tropical.

The soil type is sandy loam with good drainage. pH is 6.43 and total N (%) 0.22. Topography : flat (0-8%).

Climate

Most rain occurs during June to October.

Nearest weather Station: Dhangadhi, Kailali District (mean annual daily temperature: 23.8ºC)

Rainfall: mean: 1700 mm

Temperature:April and May are the hottest months, January and February are the coldest.

Stand description

The main associated species are Mangifera indica, Dalbergia sisso, Shorea robusta and Acacia catechu..

Seed production

Seeds collected in July 95 gave 5 kg fruits per tree. The trees were at least 50 m from one another, in two locations (Geta and Dhangadhi market) separated by more than a kilometer.

Percentage of trees with fruits in this stand was approximately 80.

Flowering period: March to April
Fruiting period : May to July
Seed production capacity per tree : approx. 2 kg (120 kg for the stand)

Labour availability

Unskilled and semi-skilled workers available at Geta, Mohanpur and Attaria
Collectioon permit required from farmers.

Conservation

-

Seed source: Tibbi Laran, Pakistan

International Neem Network Provenance no: 16/PAK/Tib

Species: Azadirachta indica (botanical), neem (vernacular)

Owner/contact person: Private homesteads/Mr. Malik M. Hayat, D.F.O. Rahimyar Khan

Report authors: Mr. Tahir Laeeq, Mr. Malik M. Hayat, Mr. Atif Niazi, Ms. Agnete Thomsen

Date of seed source description: 04-12-94

Location ( Map 1 / Map 2 / Map 3 / Map 4 )

Latitude: 28º 24' N

Longitude: 70º 18' E

Altitude: 115 m.a.m.s.l.

Country: Pakistan

Province: Punjab

Adm. unit: Rahimyar Khan District

Detailed description of how to reach location and access road description: From Rahimyar Khan take the Shai Road which crosses the railway and pass Lever Estate on your right hand. Turn left after 1 km at Kacha Sadigabad Road. Follow this road 6.1 km and a small non-paved road will turn to the left to Tibbi Laran (500 meters). If you continue at Kacha Sadiqabad Road the Wildlife Park (Zoo) is 200 meters further ahead on your right hand. The area is accessible all year.

Natural boundaries: The seed source consists of the entire Tibbi Laran Village. The road around Tibbi Laran delineates the seed source. The area west of this circuit road is uncultivated (industrial) land. South of Tibbi Laran is a graveyard. East of Tibbi Laran are cotton fields and mango plantations. A small area of agricultural fields along the access road will be found towards North.

Site description

The soil is loamy sand with a fine soil structure and drainage is good. The terrain slightly hilly (Tibbi means hill). There is no foreign neem, i.e. introduced plants, in the vicinity of the area.

Climate

Rainfall: mean: 140.1 mm (average over past 20 years 1972-1992)

Temperature: min: 13.3ºC
mean: 24.8ºC
max: 34.2ºC

The nearest weather station is Bahawalpur (Lat. 29º24'N, long. 71º40'E).

Stand description

The seed source is approx. 12 ha. (the circuit of Tibbi Laran is 2.3km). Nearly all homesteads have one neem tree. Mr. Jam Bashir, ex-Chairman of the Municipal Committee and Chief of the Laran Family, estimates that there are around 500 homesteads and not less than 300 trees. The people gathered at the Chopal (sitting place) said that neem has always been in the village and that the village is more than 300 years old. Neem is less common in the eastern part of Tibbi Laran. Neem is still planted, the origin of the seed being local.

Nearly all trees are healthy with a dominant crown development. The stems were generally straight. Mean height of dominant trees is 10-12 m.

Seed production

Mr. Jan Bashir, and the other men gathered at the Chopal, told that permission to collect seeds would be granted. There was no estimate of approx. seed production, however, it was mentioned that some trees yield significantly more seeds than others. Seed collection period is Mid-June to Mid-July.

Labour availability

Labour is easily available locally.

Conservation

The trees are well protected by the villagers.

Seed source: Multan, Pakistan

International Neem Network Provenance no: 17/PAK/Mul

Species: Azadirachta indica (botanical), neem (vernacular)

Owner/contact person: Mainly government organizations and private companies.
Mr. Muhammad Naseer Ahmad Khan, D.F.O. Multan

Report authors: Mr. Tahir Laeeq, Mr. Muhammad Naseer Ahmad Khan, Ms. Agnete Thomsen

Date of seed source description: 06-12-94

Location ( Map 1 / Map 2 / Map 3 )

Latitude: 30º 11' N

Longitude: 71º 29' E

Altitude: >150 m.a.m.s.l.

Country: Pakistan

Province: Punjab

Adm. unit: Multan District

Detailed description of how to reach location and access road description: The Cantonment area is situated within the City of Multan. In this part of the city many Government Organizations and private Companies have larger gardens/areas around their buildings. Access to the area is only limited to the West as this is a Military Restricted Area. The Airport is just North of the area. The main streets are the three parallel streets: Qasim Road, Quaid-i-Azam Road, Sherashah Road and the Abdali Road further East.

Natural boundaries: The seed source is delineated by the Airport towards North, the Military Restricted Areas towards West and the Shershah Road and Multan Cantt Railway Station to the South. There are three parallel limits to the East; the first one being Aziz Shahid Road which delinates the central part of the seed source, the second is Nusart Road which encloses the Saddar Bazaar which is nearly without any trees and the third one is the 1.8 km long road from LMO Chowk to the Multan Cantt Railway Station.

Site description

The soil is loamy sand. The soil structure is fine and drainage is good. The area is flat. There is no foreign neem , i.e. introduced plants, in the vicinity of the area.

Climate

Rainfall: mean: 276 mm (average from the 1968-1989).

Temperature: min: 5ºC
mean:
max: 45ºC

Dry season falls from October to February. In addition, June is also quite dry.

Storms are frequent during April (20), May (29) and June (26).

Stand description

The entire seed source has an extent of approx. 790 ha. The trees are found in groups of 5-10 trees. At least 30 such groups have been identified. 24 groups are situated in the central part of the seed source at the northwestern corner of the seed source, delineated by Qasim Road, Quaid-i-Azam Road, Aziz Shahid Road and the Military Restricted Area. The central part is approx. 85 ha.

The trees are planted 15-60 years ago, and the age of the trees are uneven.

Seedlings raised from seed collected locally are used. The density of neem trees is approx. 3 trees per ha in the central part of the seed source and less than 1 per ha outside this area. Nearly all trees are healthy with a dominant crown development. The stems are straight. Mean height of dominant trees is 13-15 m.

Seed production

Permission to collect seed will be needed from the owners of the land, however since many owners are Government Organizations no major constraints are foreseen. Some groups of trees are planted along the roads where no permission will be needed. There is no estimate of seed production. Seed collection period is mid-June to mid-July.

Labour availability

Labour is available locally.

Conservation

The trees are well protected.

Extension

The seed source can be extended towards South and East, however, the distance between these groups will be longer.

Seed source: Kuliyapitiya, Sri Lanka

International Neem Network Provenance no: 18/SRL/Kul

Species: Azadirachta indica (botanical), kohomba (vernacular)

Owner/contact person: Forest Department, Sri Lanka

Report authors:

Date of seed source description: 19.04.96

Location ( Map 1 / Map 2 / Map 3 )

Latitude: 7º 8' N

Longitude: 80º 0' E

Altitude: - m.a.m.s.l.

Country: Sri Lanka

Province: Wayamba

Adm. unit: -

Detailed description of how to reach location and access road description: From Colombo to Giriulla on Kurunegala road and then to Kuliyapitiya.

Natural boundaries: -

Site description

The soil is lateric with good drainage. The site lies in the intermediate dry zone.

Climate

Rainfall: min: 220 mm
mean: 1397 mm
max: 1524 mm

Dry season falls from February to April and again from July to September.

Stand description

The stand covers a total area of 100 ha. The establishment method is unknown.

It is a natural stand with trees scattered. Trees delineate agricultural fields and a few scattered. The age distribution is uneven. Many trees have good crown development and many branches. The trees are healthy with medium stem form. The mean height is 10-15 m.

Seed production

No permission is required for seed collection. The flowering period is June with fruiting in August. The percentage of trees flowering/fruiting is 60%. Capacity is 40 kg/tree.

Labour availability

The nearest village is Kuliyapitiya.

Conservation

None

Extension

None

Seed source classification

Unclassified, natural regeneration.

Seed source: Tung Luang, Thailand

International Neem Network Provenance no: 19/THA/Thu

Species: Azadirachta indica (botanical), mai sadaw, mai salioam, neem, nim (vernacular)

Owner/contact person: Royal Forest Department, Silvicultural Research Sub-Division, Bangkhen, Bangkok 10900.

Report authors: E.B. Lauridsen, Danida Forest Seed Centre, Kowit Somboon, Thung Salaeng Luang Forest Tree Improvement Station, Pitsanuok, RFD, Thailand, Smit Boonsermsuk, Research Officer, RFD, Thailand.

Date of seed source description: 12-12-89

Location ( Map 1 / Map 2 )

Latitude: 09º 09' N

Longitude: 99º 07' E

Altitude: 4 m.a.m.s.l.

Country: Thailand

Province: Suran Thanik

Adm. unit: Amphoe Pun Pin

Detailed description of how to reach location and access road description: From junction of highway 41 with road to Surat Thani (about 200 m from Ban Nong Kli) proceed West towards Wat Yang Ngarm. Proceed to railway crossing at Tung Laung Railway Station. Follow the road that goes along the railway track to the West for about 1 km. Turn then towards South, crossing the railway line and proceed in a general southern direction for about one kilometer. Proceed in a general eastern direction, and then to the North towards Ban Tung Luang. The area with a fair population of neem has now been encircled.

Access is all year round on all-weather laterite roads.

Natural boundaries: Demarcation is only good along the northern boundary being formed by the railway. The rest are following laterite roads, which are not well identified because of lack of detailed maps.

Site description

The aspect is slightly toward the East. Topography is level. Soil is sandy clay loam.

Climate

Rainfall:min:
mean: 1755 mm
max:

Low rainfall season from January to April.

Nearest weather station is at Surat Thani.

Stand description

The total area is estimated at 100 ha. The stand is endemic.

Neem occurs at the rate of 2-4 groups per hectare with an average of 3 trees per group. The trees are growing in groups on termite mounds and ridges. Trees are reaching heights of up to 15 meters.

Associated species are Bambusa arundinaceae, Dipterocarpus alatus, Cassia siamea, Diospyros sp.

Seed production

On average there are 10 trees per hectare each producing 1000 to 2000 seeds. Thus there may be obtained 1-2 million fruits per year in this area. Possible time of collection is March to April.

Labour availability

Available at time of collection, but at high cost due to competition with agricultural operations.

Conservation

Not immediately endangered. Regeneration is ample.

Extension

Extension can be made to the area East and West of the described location for 1-2 km in each direction.

Seed source: Ban Nong Rong 1, Thailand

International Neem Network Provenance no: 20/THA/Non

Species: Azadirachta indica (botanical), neem (vernacular)

Owner/contact person: Royal Forest Department, Silvicultural Research Sub-Division, Bangkhen, Bangkok 10900

Report authors: Chamnong Kanchanaburagura, Kanchanaburi, RFD, E.B. Lauridsen, Danida Forest Seed Centre.

Date of seed source description: 22-11-88

Location ( Map 1 / Map 2 )

Latitude: 14º 05'40" N

Longitude: 99º 40' E

Altitude: 40 m.a.m.s.l.

Country: Thailand

Province: Kanchanaburi

Adm. unit: Amphoe Muan Kanchanaburi

Detailed description of how to reach location and access road description: 20 km from Kanchanaburi Town along highway 324, Kanchanaburi-Saphanburi, at the second bend after the village Ban Thung Samo until the road leading North-West to Ban Bo Wa, West towards Khao Kamphaeng, South along the foothill, and then South until the highway 324.

Map ref: Thailand 1:50,000, ed. 1-RTSD, series L 7017, sheet 4937 III. Thailand Highway Map, 1:1,000,000, Roads Assoc. of Thailand, 1988. World (S.E.Asia) 1:1,000,000, Series 1301, Ed. 7-TPC, sheet ND 47, 1971.

Natural boundaries: The area has distinct and easily defined boundaries. The area is not isolated from the natural neem around, but this is not important, because the origin is the surrounding populations.

Site description

The provenance comprises plantations of neem established from the year 1978 (2513) and onwards. The total area of neem by 1988 is around 600 ha.

The area is originally degenerated dry dipterocarp land with poor sandy podsolic soils. Most of the original forest has been cleared and replaced by plantations of various species, mainly neem.

Climate

Rainfall: mean: 1145 mm

A pronounced dry season during the months of November-March.

Nearest weather station is at Kanchanaburi.

Stand description

Area of neem by 1988 is around 600 hectares. Seed for the plantations have been collected by Headman, Nai Somchai, around the village Ban Don Sa, and around Ban Huai Talung about 13 kilometers South-West of the plantation area.

The plantations are generally planted at 4 x 4 meter spacing, the survival is high, and they appear uniform, and the trees are as a whole of good form.

Seed production

The total production of seed from the plantations may conservatively be set at 3000 kg per year, or enough for around 3000 hectares of plantations. Possible time of collection is March to April.

Labour availability

Labour is available in the nearby villages, or else the Central Research Center can provide seed collectors.

Conservation

The area is under management and control of the Forest Protection Unit, Royal Forest Department Bangkok.

There is no need for conservation, but information should be obtained from the Protection Unit regarding the working plans for the plantations, including rotation age.

Extension

The area would normally produce sufficient quantity of seed. Else, the provenance may be extended toward south around Ban Don Sa.

Seed source: Ban Bo, Thailand

International Neem Network Provenance no: 21/THA/Bo

Species: Azadirachta indica (botanical), neem (vernacular)

Owner/contact person: Khon Kaen Regional Forest Office

Report authors: Tawee Chaireongsirikul, Esben Schøler

Date of seed source description: 12-03-89

Location ( Map 1 / Map 2 )

Latitude: 16º 17' N

Longitude: 103º 35' E

Altitude: 150 m.a.m.s.l.

Country: Thailand

Province: Khon Khaen

Adm. unit: Kamalasai District

Detailed description of how to reach location and access road description: At the crossroads of highway 214 and road no. 2116. Easy access from the highway.

Natural boundaries: North-western part of the crossroads (214/2116). Hereby bordered by the highway 214, and the road 2116. Furthermore a boundary is found in the irrigation channel going East-West. The western boundaries suggested approx. 2 km west of the crossroads.

Site description

Open flat farmland with paddy fields. Ban Bo village is part of the area.

Due to irrigation channels, irrigation is possible all year round.

Climate

Rainfall: mean: 1400 mm

Dry period falls from October to April (not verified)

Stand description

The area is estimated to be 33 hectares open stand. The eastern part situated in Ban Bo village. Soil is sandy clay loam. Height of trees up to 25 m. Diameter: up to 35 cm. Grouping/spacing is 3 trees/ha.

Associated species are Dipterocarpus intricatus, Barringtonia pauciflora, Dipterocarpus obtusifolius, Eugenia cumini, Bambus spp. Irvingia malayana, Lagerstroemia floribunda.

Seed production

200.000 fruits per year. Possible time of collection is March-April (not verified).

Labour availability

-

Conservation

-

Extension

Seed source area can be extended on the northern side of the irrigation channel.

Seed source: Doi Tao, Thailand

International Neem Network Provenance no: 22/THA/Doi

Species: Azadirachta indica (botanical), Mai Saliam, Neem, Nim (vernacular)

Owner/contact person: Comes under the jurisdiction in part of the Forestry Department (amphoe), and in part the Electricity Board of Thailand. Contact is through the Royal Forest Department, Silvicultural Research Sub-Division, Bangkhen, Bangkok 10900.

Report authors: Chamnong Kanchanaburagura, RFD Kanchanaburi, E.B. Lauridsen, Danida Forest Seed Centre

Date of seed source description: 1989

Location ( Map 1 / Map 2 / Map 3 )

Latitude: 17º 57' N

Longitude: 98º 41' E

Altitude: 300 m.a.m.s.l.

Country: Thailand

Province: Chiang Mai

Adm. unit: Amphoe Doi Tao

Detailed description of how to reach location and access road description: Along road 1103 from Thoen - Mae Li - Hod. In Amphoe Doi Tao a sharp bend at temple where the highway turns due North follow smaller road to the west towards the bank of the river Mae Nam Ping. The provenance extends about 400 meters North from this road until a laterite road running East-West. The area is accessible from all-weather roads, or tracks.

Natural boundaries: -

Site description

The aspect is gentle west. The topography is slightly undulating. The soil is eroded, yellow-red podzolic, with exposed laterite.

Climate

Rainfall: min:
mean: 1250 mm
max:

Dry season is during November to April. Nearest weather station is Chiangmai.

Stand description

The area is estimated to cover 150 hectares. It is a natural, severely degraded moist deciduous forest without teak, and with extensive farming and cattle grazing in the area. The trees in area have heights not exceeding 12 meters.

Associated species are Cassia garettiana., Flacourtia indica, Horsfieldia macrocoma, Morinda citrifolia, Shorea obtusa, Shorea siamensis, and Terminalia mucronata.

Neem occurs in small groupings with up to 23 groups per hectare with an average of 1.9 trees per group. The average height of the trees is 10 meters, varying from 8 to 12 meters. Regeneration (here defined as trees less than 6 m height and not bearing fruits) is ample with up to 27 groups of seedlings per hectare with an average of 2 seedlings per group. Only 1-2 trees per hectare produce fruits.

Albizzia lebbeck: Sporadically occurring with 1-7 trees per hectare. No regeneration was found.

Ziziphus sp.: This species occurs abundantly.

Seed production

The provenance may produce some 23,000 fruits per year, or enough for around 10 hectares. Possible time of seed collection is March to April (not verified).

Labour availability

The area is close to the town of Doi Tao and labour is easily available in the seed collection season.

Extension

Seed collection may be extended to the East, North and South of Amphoe Doi Tao over a total area of 400-500 hectares.

Inclusion of the extension would increase production to more than 100,000 fruits per year.

Seed source: Sunyani, Ghana

International Neem Network Provenance no: 23/GHA/Sun

Species: Azadirachta indica (botanical), neem (vernacular)

Owner/contact person: Forest Research Institute of Ghana, P.O. Box 63, Kumasi, Ghana
Augustina Gyiman

Report authors: Augustina Gyiman and A.R. Adam

Date of seed source description: August 1994

Location ( Map 1 / Map 2 / Map 3 )

Latitude: 07º 21' N

Longitude: 02º 21' W

Altitude: 950-1000 m.a.m.s.l.

Country: Ghana

Province: Brong Ahafo

Adm. unit: Sunyani

Detailed description of how to reach location and access road description: Ministries and Government bungalows compound, Catolic school compound, Twene Amanfi Secondary School Compound.

Natural boundaries: No natural boundaries

Site description

-

Climate

Rainfall: min: 1270 mm
mean:
max: 1400 mm

There are two peak seasons, May to July and September to October. The dry season is from December to March.

Stand description

The vegetation is closed forest type and total area is estimated at 120 hectares.

The trees have been planted as avenue and ornamental trees. Number of trees per hectare is estimated at 0.83. The average DBH is 44.4 cm. Average height is 13.9 meters and average crown diameter is also 13.9 meters.

Seed production

Seed collection is between June and August.

Labour availability

Casual labour is available.

Conservation

Under threat from infrastructural development

Extension

Tree number could be increased, but not the area.

Seed source classification

Exotic

Seed source: Bandia, Senegal

International Neem Network Provenance no: 24/SEN/Ban

Species: Azadirachta indica (botanical), neem (vernacular)

Owner/contact person:

Report authors:

Date of seed source description: 1995

Location ( Map 1 )

Latitude: 14 º 30' N

Longitude: 17º 02' W

Altitude: 50 m.a.m.s.l.

Country: Senegal

Province: Thies, Mbour

Adm. unit: Bandia Forestry Station

Detailed description of how to reach location and access road description:

Natural boundaries:

Site description

The topography is flat. The soil is ferruginous tropical soil, high clay contents, low organic matter, neutral-alkaline. Hard pan at 1.5m.

Associated species are Adansonia digitata and Acacia seyal.

Climate

Climatically the zone is sahelo-soudanian, with maritime influence and semi-arid.

Rainfall: min:
mean: 436 mm 1984-1993)
max:

Temperature: Coldest 16ºC (Jan)
mean: 25ºC

Hottest month: 35ºC (October)
Wind:
N-NW humid trade wind
Speed: approx. 2-3 m/s

The rainy season is from July to September, and the dry season from October to June

Stand description

The stand is an old manmade plantation found around villages and along road sides, near the forestry station of Bandia.

Seed production

Seed collection in August 1995. 13 kg was collected from 23 of 30 trees.

Labour availability

-

Conservation

-

Extension

-

Seed source classification

-

Seed source: Chamwino, Tanzania

International Neem Network Provenance no: 25/TAN/Cha

Species: Azadirachta indica (botanical), neem (vernacular)

Owner/contact person: DNRO Dodomo Rural/Mr. Beatus Marandu

Report authors: J. Mtika (Head, Seed Source Section) and A.P. Pedersen (Technical Advisor) - Field Establishement Report No 12, National Tree Seed Programme, Tanzania. -

Date of seed source description: 01-08-91

Location ( Map 1 / Map 2 )

Latitude: 6º 20' S

Longitude: 35º 50' E

Altitude: 1030 m.a.m.s.l.

Country: Tanzania

Province: Dodoma

Adm. unit: Dodoma Rural

Detailed description of how to reach location and access road description: Chamwino village is 35 km from Dodoma.

Natural boundaries: Very clear

Site description

The topography is gentle sloping with a southerly aspect. The soil is sandy and drainage good.

Nearest weather station is Chamwino Kilimo Office (mean annual rainfall : 568 mm).

Climate

Rainfall: mean: 475 mm

Temperature: annual mean : 21ºC.

Stand description

The stand covers a total area of 8 hectares, established by planting in 1984/85. There are 800 trees per hectare in good condition. The trees are uniform, healthy, with medium stem form and branching. Height is 7 m with a diameter of 13.5 cm. There is a tendency towards low branching.

Seed production

-

Labour availability

-

Conservation

-

Extension

-

Seed source classification

Identified stand, seed zone no. 18. Seed source no. MO 008 I.

Previous PageTop Of Page