8.1 A fish culture programme should be undertaken by the LLDA, utilizing various types of lake enclosure techniques.
8.2 A hatchery and experimental station should be established and programmes on species combinations and lake enclosure techniques, as proposed herein, should be initiated as soon as possible.
8.3 A UNDP assistance programme, providing equipment, expert advisory services and
training fellowships, substantially as outlined in this report, at an estimated cost of
U.S. $229 400 and local cost of
554 000, is proposed to be implemented concurrently with
the LLDA fish culture development programme.
8.4 Continuing coordination should be maintained between the LLDA experimental and development programmes and ongoing work of the Muñoz Aquaculture Station in Central Luzon, the University of the Philippines College of Fisheries and the Philippine Fisheries Commission.
8.5 Findings of the experimental and pilot programmes should be fully evaluated before large-scale commitments are made or encouraged in commercial ventures.

Figure 2
LAGUNA DE BAY FISHERY AND OTHER PROJECTS


Figure 3
EAST BAY FISHERY DEVELOPMENT

Figure 4
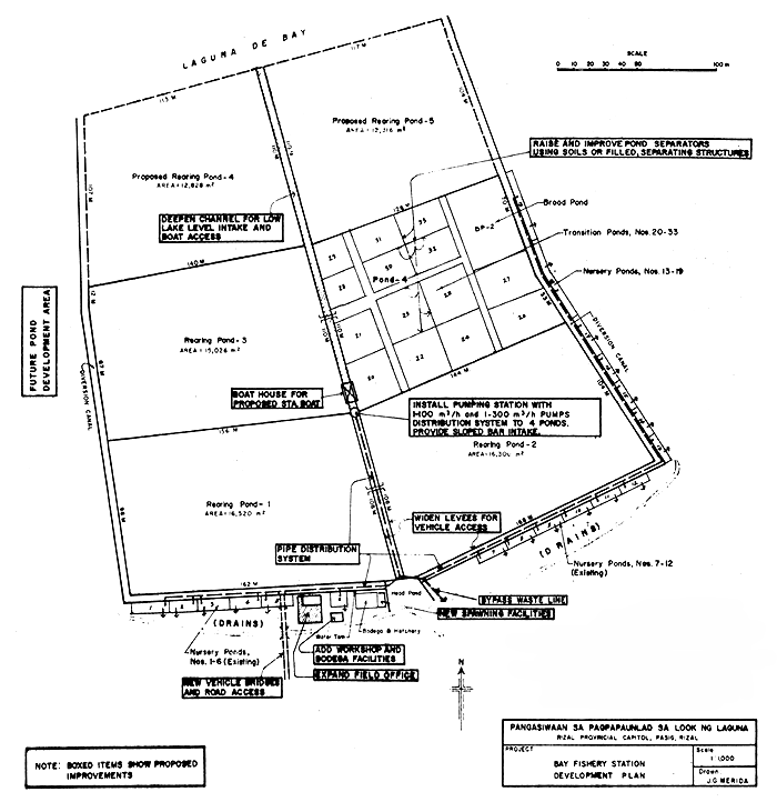
PROPOSED BAY STATION DEVELOPMENT