Malaysia does not have a tradition of brackish water aquaculture nor the experienced manpower for this industry. Start has been made with the shrimp trapping ponds and sporadic small projects for other species. With the declining catches from natural waters, the increasing pressure of increasing human population and the growing dangers of pollution, there is a felt need for the practice of aquaculture. The government is well aware of this and has taken steps to select suitable site and to construct in the near future this type of project.
I. The Gelang Patah, Johore Bahru, Johore site
The site was previously surveyed and a layout plan was prepared for the development of a government pilot project in brackish water aquaculture.
Although plans for the establishment of this project has been set and funds have been allotted, recent development in the area provides reason to reconsider starting work on this site. Extensive land development works in the watershed area of this site is giving the tidal stream feeding the swamps extended or continuing turbid waters even with moderate or slight rains. This can also result to excessive silting in the place. This phenomena were actually observed during the survey.
A reassessment of the elevation of the site based on tidal datum shows that the area is quite elevated for management and would require some excavation and perhaps pumping during operation.
If the development of this site is to be pursued it is further suggested that the layout be modified to provide for equal-size relatively smaller ponds (2000 - 5000 m2) for the conduct of experiments and for nursery, transition and rearing pond compartments in appropriate proportions. Other modifications in the layout and construction may be instituted in order to accommodate stock manipulation management, deep water or plankton method of production and/or progression method of production. Further investigations of soil and water characteristics are also advisable (pH, salinity, turbidity, pollution, etc.).
On further survey of alternative sites for development in the Gelang Patah area it was found that there are areas of lower elevation further down the tidal stream. As this alternative site is less affected by sudden salinity changes and continuing turbidity, it may be worth considering.
II. Tanjong Dawai, Kedah
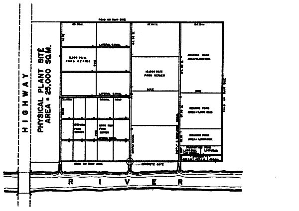
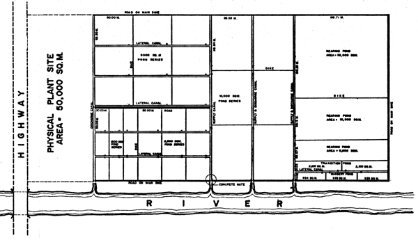
This appears to be one of the best sites for development along the west coast of West Malaysia. As there are extensive available areas near it, this can be a focal point for widespread development along this coast. It is easily accessible and can be of benefit for a large low-income population. The water supply appears adequate and of good quality. If a demonstration fish farm is to be built along this coast, establishment in this site is suggested. Typical layouts for such a project are shown in Figures 8a and 8b.
III. Kuala Kerteh, Trengganu
In the east coast of West Malaysia the tidal mangrove swamps are not as extensive as in the western coast but a survey along that coast showed some sites worthy of development. The site at Kuala Kerteh in Trengganu state was easily accessible and can be beneficial to the poor income communities in the area. The quality of the water supply is good and the site can be developed by mechanized method if desired. This particular site is recommendable for a demonstration along this coast. Figures 8a and 8b show two alternative layout plans suggested for the development of a demonstration fish farm in this site.
IV. Other sites
Other alternative sites, besides those mentioned above, are available for development in West Malaysia. One interesting site seen during this survey is a natural depression separated from the sea by a sand bar. It would be relatively inexpensive to develop this site for trial culture tests if feasible. As this site located between Merchang and Kampong Pulau Krengga very near Kuala Trengganu in the east coast is very accessible and proximate to facilities of transport and electric power, it may be worth considering this site for future development.
The suggested layout for developing the area is illustrated (Figure 8c).

FIGURE 8 a
SKETCH PLAN
OF
PROPOSED BRACKISH WATER AQUACULTURE
EXPERIMENT, DEMONSTRATION and TRAINING
CENTRE at KUALA KERTEH, TRENGGANU, MALAYSIA
(For 16.5 ha area)
SCALE 1:2000 M

NOTE: May side apply for Ts: DAWAI, KE DAH or SAGAM PANCON Sg.Tingsi PERAK to WEST COAST and size for other sites ha either COUNTRIES

SUMMARY
| PHYSICAL PLANT SITE | AREA | = 50,000 | SQM. | |
| 9–5000 POND SERIES | " | = 45,000 | " | |
| 9–2500 " " | = 22,500 | " | ||
| 9–1500 " " | = 13,500 | " | ||
| 6–10,000 " " | = 60,000 | " | ||
| 1 set pond demo " | " | = 70,000 | " | |
| TOTAL AREA | = 261,000 | SQM. | ||
| APPROX PERIMETER AREA | = 270,000 | SQM. | ||
FIGURE 8 b
SKETCH PLAN
OF
PROPOSED BRACKISH WATER AQUACULTURE
EXPERIMENT, DEMONSTRATION and TRAINING
CENTRE at KUALA KERTEH, TRENGGANU
(For 27 ha area)

(Note:)
May also apply for Tg, DAWAI, KEDAH or BAGAN PANCOR

FIGURE 8 c
SUGGESTED INEXPENSIVE TRIAL CULTURE PONDS
IN EAST COAST OF MALAYSIA
