SCS/82/CFE/CP-6
by
S. Adisukresno2
1. INTRODUCTION
1.1 Importance of selecting a suitable site for development
Much of the success of coastal fishfarms depends on the selection of suitable sites, and on other factors such as management, manpower availability, marketing, road accessibility, etc. Site selection is not only to determine if a site is suitable for coastal fishfarms, it is also valuable in determining what modifications are needed concerning layout, engineering and management practices to make the farming possible at a given site. No site will have all the desirable characteristics, so a number of judgments have to be made for every site. First, can the farms be profitable? Second, what is the most appropriate type of management? Third, how must the pond system be constructed for that type of management in that location?
1.2 Time and place of study
To select the proper sites for coastal fishfarms, the survey should be conducted at least two times a year or during two different seasons. It is important since if the survey was conducted once only it might be during the best or worst conditions which could lead to wrong decisions. In tropical countries the survey should be conducted at least during dry and wet seasons.
The information collected will indicate whether the seasonal conditions are extremely different or only slightly different. Other supporting data, such as climatic conditions, socio-economic status of the local inhabitants, distance to the nearest town, and to the nearest industrial or manufacturing area, are essential for judgment of site suitability.
The location to be studied depends on the purpose of the survey. For fish and shrimp rearing, a location near a river in a tidal area is the main object of the survey. Such a place is to be avoided if the purpose of the survey is for hatchery construction. Location near an industrial area is not advisable for both rearing and hatchery purposes.
2. FACTORS CONSIDERED IN SITE SELECTION
2.1 Soils: physical and chemical characteristics
Many coastal soils are high in peat or sand content and will not hold water. Construction of a coastal fishfarm in this situation requires high investment and operational costs. The soils must have a high clay content to assure that the pond will hold water. Try to shape a handful of moist soil into a ball, if the ball remains intact and does not crumble after considerable handling, there is enough clay or such soil is sandy loam. This physical characteristic of soil is best for dike construction, since the soil is hard and does not crack when dry. Peaty soil will settle too much for dike construction and may even burn when dried. Many newly constructed ponds are reported to give poor production. It is usually attributed to low fertility of the soil, in which acid soils may be the cause in many cases. Low soil pH is usually a result of iron pyrites which if oxidized produce sulfuric acid. This may cause a pH of 4.0 or less.
Depth of topsoil and characteristics of the subsoil should be noted for estimation of pond construction costs. This is necessary for a decision on whether the pond dikes are to be constructed of topsoil or the subsoil for the core while the outer surface may be covered with topsoil. If the subsoil is highly acidic, it might be better to leave it undisturbed, reducing the amount of excavation and filling the pond by pumping instead of by tidal flow.
A knowledge of the rate of percolation of the soil will help in determining the extent of water loss through the pond bottom or dikes and can affect both design and management.
2.2 Land elevation and tidal characteristics
These are related to the cost of pond construction and water maintenance. An area which is distant from the sea along a river bank which has sufficient tidal fluctuation is ideal for pond construction. The tidal characteristics are critical to determine whether tidal flow or pumping will be used to fill the ponds and to determine the elevation of the pond bottom, dike height, etc. Places where tidal fluctuation are large, say over 4 m are not suitable sites for ponds because a very large and expensive dike would be required to prevent flooding during high tide. Areas with slight tidal fluctuation. 1 m or less are also unsuitable for tidal ponds because the ponds could not be drained or filled properly. Places where the tidal fluctuation is a moderate 2–3 m are most suitable for fishfarms using tidal flow to fill the ponds. For ponds constructed in an area where the tide is less than 2 m or more than 3 m, the use of pumps should be considered.
Land elevation and vegetation also affect the cost of pond construction. A clear area reduces the cost of site preparation.
1 Contribution to the FAO UNDP-SCSP Consultation Seminar on Coastal Fishpond Engineering, Surabaya, Indonesia, 4–12 August 1982.
2 Director, Brackishwater Aquaculture Development Centre, Jepara, Indonesia.
2.3 Water supply
The water supply should be sufficient year round, whether during the dry or rainy season. There should be enough supply of fresh and salt water to get the desired salinity. The water supply should be free from pollution, and have a pH of 7.8 to 8.5. Note the silt sedimentation, salinity, tidal fluctuation, currents prevailing, water temperature, D.O., B.O.D. Water temperature, D.O. and B.O.D. are for supplementary information only, since these fluctuate according to the environmental factors. When the mangrove area has been cleared, there will be a change in the water temperature, D.O. and B.O.D. If there is silt in the water, it should be taken into account since it can cause a reduction in the depth of the pond rapidly.
Other data needed
| - Rainfall (precipitation) | - average days of rain/year |
| - average rainfall | |
| - seasons of rainy/dry periods | |
| - Evaporation rates, high/low | |
2.4 Vegetation
The type of vegetation growing is an indicator of elevation and soil type.
Types of mangrove are in association with the characteristic of the tidal zone:
| Medium high tide | - Avicennia, Sonneratia, Excoecaria, Thespesia |
| High daily (normal tide) | - Rhizophora, Ceriops |
| Spring high tide | - Lumnitzera, Acrostichum |
| Abnormal high tide | - Melaleuca, Phoenix |
Mangrove of Avicennia usually is an indicator of productive soil. Mangrove with Rhizophora, Bruguiera and Sonneratia usually indicate areas less suitable for fishponds.
Nipa and other trees with high tanin content are indicators of low pH. The number of trees per ha, size of trees and road system are important factors in the cost of land clearing and excavation.
2.5 Nature of immediate surroundings and watershed
The factors to be considered are the following:
Are there any streams which come from the ricefields toward the site selected?
Find out what is the nature of surroundings and watershed and also find out what is the master development plan of this area. By knowing the master plan, alternative locations can be found to replace those which are unsuitable.
2.6 Availability of stocking material
Consider the following:
When are the fish seed/shrimp seed available?
2.7 Availability of skilled manpower
The following should be taken into account:
The availability of villages near the site for ease in getting local manpower
2.8 Market outlet(s)
Consider the following criteria:
Road accessibility
2.9 Institutional and legal aspects
Check the regulations on whether the farmers should be in a cooperative, private, or both. Find out which institute or government service might support the farms. Find out the procedural aspects on the land usage, legal water supply usage, licensing requirements, land ownership laws, navigation laws, etc.
2.10 Others
Additionally, the following criteria should be considered:
Others
3. METHOD FOR SUITABILITY DETERMINATION
3.1 Equipment
Some of the equipment required are listed below:
field test kit — for water analysis (if necessary)
3.2 Specialized manpower
The following skills are required:
economist for future financial analysis
3.3 Method
3.3.1 Areal survey
Make a rough estimation of the area intended for the pond by:
collecting information from local people
3.3.2 Topographic survey
For practical purpose topography of an area is estimated roughly by observing the whole area and sketching it. In some cases, the land contour map is already available. To get the detailed topography of the area, a survey using a leveling instrument is necessary.
3.3.3 Specialized technical investigations
Soil — pH — insert the cathode into the soil up to the desired depth (about 30–50 cm) and read the pH of the soil
Also make an observation on the vegetation as a pH indicator:
Avicennia — good for fishpond
Rhizophora, Bruguiera, Sonneratia — acid soil
Nypa — low pH and low salinity
Shape a handful of moist soil into a ball. If the ball
crumbles after considerable handling, it is sandy soil with
low content of clay.
| — Water — pH | - lithmus paper |
| - colorimetric | |
| - portable battery-operated pH meter |
Tidal — read the tide table predictions for the nearest reference town available
— observe the lowest and the highest tide lines which can be traced on the shore
Freshwater supply — collect information from the local people on whether the river floods during rainy season or dries during dry season
4. MAKING THE DECISION ON SITE SUITABILITY
After collecting data and information from several places, an evaluation of the surveys should be made. Data and information collected are quantitative and qualitative and it is difficult to make a decision. All data should be transformed by scoring.
Scoring can be in the ranges from 1 up to 10 or from 1 up to 100. Scoring should be decided upon in accordance with the relative importance of each site evaluation criterion.
Examples of criteria applied to four sites and parameter measurements for each criterion are shown in Table 1. Results of scoring of each of these sites are shown in Table 2.
According to the scoring system, location A is the best place for the coastal aquaculture, but in case the land cost is very expensive or if land acquisition is difficult, then location D is the second alternative and location B is the third alternative.
5. SUMMARY CONCLUSIONS AND RECOMMENDATIONS
5.1 Summary
Selecting a suitable site for coastal fishfarms should be considered from the viewpoints of technical and non-technical aspects. Survey of the sites should be conducted at least twice a year, during the dry and rainy season. Technical factors considered are type and structure of soil, land elevation, water supply, water quality, tide fluctuation, type and number of vegetation in the area, fish seed availability, marketing outlets of the products, etc. The non-technical factors to be considered are road accessibility, manpower availability, land usage legality, availability of materials, etc. Evaluation of the survey is by scoring the data available.
5.2 Conclusions
Selecting a suitable site for coastal fishfarm should be decided on several technical and non-technical aspects.
A scoring system is one of the means to make a judgement of site suitability.
5.3 Recommendations
For practical purposes, to save time and also to reduce the cost of the survey, forms and questionnaires should be prepared before leaving for the survey. The forms and questionnaires should fulfill the requirements of information and data needed.
The tentative itinerary should be prepared in advance.
Specialized personnel should be selected.
The field equipment should be listed and prepared in advance.
Table 1
Criteria for site selection and results of their application to four locations
| Location A | Location B | Location C | Location D | |
|---|---|---|---|---|
| 1. Soil | Sandy loam (30% sand) | Sandy loam (35% sand) | Sandy (60% sand) | Sandy loam (35% sand) |
| 2. Depth of top soil | 20 cm | 25 cm | 10 cm | 20 cm |
| 3. pH of soil | 4.5 | 5.0 | 5.0 | 4.8 |
| 4. Land elevation | 1–2 m b.s.l. | 1–2 m b.s.l. | 1–3 m b.s.l. | 1–3 m b.s.l. |
| 5. Tide fluctuation | 2m | 1.5–2.5 m | 0.5–1.5 m | 1.0–2.0 m |
| 6. pH of estuarine water | 7.8 | 7.9 | 8.0 | 7.9 |
| 7. Salinity of estuarine water | 20 | 22 | 24 | 20 |
| Water flow capacity | 3 cu.m/sec | 2.4 cu.m/sec | 6 cu.m/sec | 5 cu.m/sec |
| Rainfall (days/year) | 150 | 130 | 120 | 160 |
| Total precipitation (year/mm) | 1 800 | 1 500 | 1 400 | 2 000 |
| 8. Vegetation | Rare | Densely | Rare | Densely |
| 9. Distance to the nearest town where supply available | 25 km | 20 km | 10 km | 5 km |
| 10. Distance to the nearest industrial area | 15 km | 15 km | 10 km | 5 km |
| 11. Is there any stream which comes from the industrial area? | no | no | yes | no |
| 12. Is there any stream which comes from the ricefield? | no | no | no | no |
| 13. How is the road accessibility from the site to the nearest town? | good | good | good | good |
| 14. How far is the site from the nearest fish seed supplier? | 50 km | 70 km | 30 km | 60 km |
| 15. How far is the site from the nearest village (for labourer)? | 5 km | 3 km | 2 km | 2 km |
| 16. How far is the site from the nearest big city as the market for the farm products? | 50 km | 50 km | 25 km | 30 km |
| 17. Is the site legally available for fishfarms? | yes | yes | yes | yes |
| 18. Is there any typhoon toward the site? | no | no | no | no |
| 19. Is there any monsoon toward the site? | East monsoon in July-August | West monsoon in December-February | West monsoon in December-February | West monsoon in December-February |
| 20. Does the monsoon cause abrasion to the beach? | no | no | no | no |
| 21. Is the estuarine flooded during rainy season? | yes, during heavy rain only | no | no | no |
Table 2
Scores applied to results of site selection at four locations
| Score of the location | ||||
|---|---|---|---|---|
| Criteria | A | B | C | D |
| 1. Soil structure | 80 | 75 | 40 | 75 |
| 2. Depth of top soil | 75 | 80 | 60 | 75 |
| 3. pH of soil | 70 | 80 | 80 | 75 |
| 4. Land elevation | 80 | 80 | 60 | 60 |
| 5. Tide fluctuation | 80 | 100 | 60 | 80 |
| 6. pH of estuarine water | 70 | 80 | 90 | 80 |
| 7. Salinity of estuarine water | 80 | 90 | 100 | 80 |
| Water flow capacity | 60 | 50 | 80 | 75 |
| 8. Number of days rain/year | 80 | 70 | 60 | 90 |
| Total precipitation | 90 | 75 | 70 | 100 |
| 9. Vegetation | 90 | 60 | 90 | 60 |
| 10. Distance to the nearest town where supply available | 70 | 75 | 90 | 80 |
| 11. Distance to the nearest industrial area | 90 | 90 | 80 | 70 |
| 12. No stream comes from the industrial area | 100 | 100 | 0 | 100 |
| 13. No stream comes from the ricefield | 100 | 100 | 100 | 100 |
| 14. Road accessibility | 100 | 100 | 100 | 100 |
| 15. Distance to the fish seed supply | 80 | 60 | 100 | 70 |
| 16. Distance to the nearest village | 70 | 90 | 100 | 100 |
| 17. Market outlet for the farm products | 60 | 60 | 75 | 70 |
| 18. Legality for fishfarms | 100 | 100 | 100 | 100 |
| 19. Monsoon | 80 | 70 | 70 | 70 |
| 20. No impact of monsoon to the beach | 100 | 100 | 100 | 100 |
| 21. No flood at the estuarine during rainy season | 50 | 100 | 100 | 100 |
| Total | 1 955 | 1 885 | 1 755 | 1 910 |
| Average score | 93 | 89 | 83 | 90 |
SCS/82/CFE/CP-3
by
R.G. Hechanova2
1. INTRODUCTION
A number of papers have been published on this subject and some general papers on aquaculture also deal on this topic. However, specifically for coastal fishponds in the region only a few papers were noted (Jamandre and Rabanal, 1975; Gedney, Kapetsky and Kuhnhold, 1982). To supplement the discussions in these publications, this writer made the following notes. These are based on observations made during various consultancies on FAO/UNDP projects, and observations of the fishpond industry in the region during the period from 1977–1982.
2. OBSERVATIONS ON PROJECTS IN REGION
2.1 Suitability of sites used
Some earth ponds in certain stations have been abandoned because their grow-out ponds were built on permeable soil. The earth bottoms of the experimental tanks in the Cha-choengsao Centre (Thailand) have been found to have potential acid sulfate soil. In the same centre, there was a reduction in production during the dry season due to lack of freshwater to control conditions of increased salinity. Freshwater was delivered to the site by trucks from a source several kilometers away. Conversely, there was the problem of low salinity during the rainy season.
Ground water quality and quantity are not suitable and sufficient. A test bore at the hatchery site was drilled to a depth of 53 meters in 1978. Chemical analysis of the water showed high iron content and some heavy metals. No information was available on well drawdown and recharge.
Reports from Songkhla (also in Thailand) indicated that the underground water was not suitable for culture use. The low tidal range at a shrimp farm near Songkhla necessitated the installation of two propeller pumps. Cost of production increased because of the expense in operating the pumps. Fouling of the suction pipes was an ever present problem.
Tidal range in the Satul farm (Thailand) is in the range of 3 to 4 meters and there was difficulty in the manipulation of the gate slabs during times of high water. Inspection of the pond species was hardly done because high perimeter dikes were constructed without berms at the pond side. Pond maintenance was a problem due to these high embankments. The underground water in a 200-m depth well could not be used for domestic and farm consumption due to the high content of iron.
There was a continuous discharge of acidified and organic effluent into the harbour from a fish meal plant located near a fishfarm in Songkhla; liquid effluents from regular washing of the fish pits and from water used in fish unloading system were discharged into the coastal water without any form of treatment.
There is the problem of the general suitability of water at the source, as at the point of intake in the Jepara Station, Indonesia. Most of the village houses along the shore dispose their garbage and sewage directly into the surrounding coast. As this centre draws its water supply from the same body of water, the problem of water quality will tend to increase in the future.
The freshwater stream that runs into the brackishwater supply canal of the Semarang farm, Indonesia, is silt-laden. This is due to surface water runoff which transports the silt from the agricultural lands into the stream. The canal is very shallow due to heavy siltation. Also in Bangil farm, Indonesia, siltation of the main water supply canal and ponds has been one of the problems of the farm and the surrounding areas. The silt load of Porong River which traverses the area has been observed to be heavy, indicated by its very high turbidity and sluggish flow.
Tidal range in North Sumatra is very favourable for tambak development but observations show that pond designs did not fully utilize this tidal energy in supplying water to the ponds. For instance, the tidal range in the Bedagai area of this island has a mean value of 2.4 m, and observations show that only about 1.0 m of this range has been utilized to tidefeed the ponds.
Seepage problems were encountered at a pilot project in North Sumatra. Apparently, the flow of ground water through the base of a dike was caused by the dike being built on an old creek and on a permeable subsurface layer. At the same project site there was observed occurrence of excessive “piping”, evidenced by the formation of springs at the down-stream areas of the main dike. Several outcroppings were seen due to subsurface erosion which involves the progressive removal of soil material through springs. A sample of cloudy water which came out through one of the “tunnels” was cleared when sedimentation had completely taken place. The sedimentary material was investigated and it was found to be noncohesive silt with fine sand fractions.
1 Contribution to the FAO UNDP-SCSP Consultation Seminar on Coastal Fishpond Engineering, Surabaya, Indonesia, 4–12 August 1982.
2 Aquaculture engineering (Private Consultant). Iloilo City, Philippines.
Streaming of water through the sides of a concrete gate in Satul, Thailand, was observed. Investigation revealed the absence of anti-seep walls at the gate sides.
The overall land elevation of the Babalan farm (Indonesia) in relation to tidal fluctuation was low. There was the problem of borrow areas where suitable soil for dike fill could be obtained. Excavations from the already low area near the dike base resulted in the weakening of the dike foundation at the toe. The dike cross-section was inadequate and the fill material was unsuitable.
3. SITE SELECTION
To enable the man-in-the-field to select suitable sites for aquaculture development, a set of guidelines were presented by Jamandre and Rabanal, 1975. The essentials are listed and are further discussed.
3.1 Soil quality
Extensive soil sampling for field and laboratory analyses on the physical and chemical soil properties should be conducted on soils taken from predetermined number of data-collection sites. These sites are usually at point along offsets from a base line laid on the field during a preliminary survey. Shallow borings for disturbed samples are made by means of augers. The auger is turned into the soil by hand for a short distance and then withdrawn with the soil clinging to it. The soil is removed for examination, the auger inserted into the hole and turned further down. Field notes are kept and these contain the date when the boring was made, location of boring, elevation of the water table and the upper boundary of each soil stratum. The sample is field classified1by the engineer, marked, placed in a plastic bag and sealed.
The use of auger as sampling tools does not eliminate the need for obtaining tube or “spoon” samples for undisturbed samples. Sampling spoons consist of a pipe with inside diameter of from 3.5 to 10 cm, split lengthwise and held at one of the threaded ends by pieces of threaded pipe with a cutting blade attached. The spoon is driven into the soil to obtain a sample and is then removed from the hole. The soil is extracted from the spoon, classified and placed in a glass jar that is covered tightly, identified and shipped to the laboratory for permeability and compressibility tests.
Grain-size distribution analyses, liquid and plastic limit determinations, and tests for determination of the optimum water content are the few basic tests made on disturbed samples. Minimum requirements for adequate soil identification are colour, odor, texture, dilatancy, grain properties and dry strength. Soil texture and composition are in most cases done in the field. For instance, samples are dampened by sprinkling them with water until they have the consistency of a workable putty. From this sample, a ball about 1.3 cm in diameter is made and is held between the thumb and forefinger. Gradually, the thumb is pressed forward, forming the soil into a ribbon. If the ribbon is formed easily and remains long and flexible, the soil is probably clay or silty clay; if it breaks easily under its own weight it is probably clay loam or silty clay loam. If a ribbon is not formed, the soil is probably silt loam, sandy loam or sand.
Laboratory determination of texture is by the grain-size distribution analysis, using a set of sieves for dry analysis of coarse-grained soils and, by the wet analysis method for finegrained soils. The results are plotted on a semilogarithmic grain-size distribution curve (Fig. 2, CP-2). The more uniform the grain sizes are, the steeper is the curve slope; a vertical line represents a perfectly uniform powder. The method of textural classification can be done by the use of a chart (Fig. 3, CP-2).
Chemical tests on soils determine their acidity and potential acidity characteristics. This is important as acidity affects pond water. Vegetative soil cover does not grow very well on dikes of acid sulfate soils2, these soils have poor fertilizer response, cause probable fish kills, low natural food production and a slow growth of the species being cultured. Sites having potential acid sulfate soils have been developed but surely the initial investment is expensive and beyond the reach of the ordinary farmer. The Gelang Patah farm in the southern part of west Malaysia has been beset with this soil problem. The literature on the various aspects of acid sulfate soil problems in ponds reveals methods on how these soil problems can be ameliorated (see CP-7 and 14).
Soils having high humus or organic content are not suitable for diking as settlement is high when the organic matter oxidizes. The fishfarm developer however, having none or limited choice, violates good engineering practice and simply allows a higher factor of safety in construction.
The best types of soil are clay, clay loam and sandy clay. These soils are suitable material for diking and they make good pond substrata for good growth of natural food. Highly acidic soils with pH of 5 and below should be avoided, if possible.
3.2 Water supply and quality
The quality of sea water at the site must be ascertained and this is done by regular sampling at strategic points. Hydrographic surveys are made to determine other parameters such as variations in salinity, temperature and dissolved oxygen content. Salinity determinations are made at different seasons of the year during high tide when tidal water reaches the proposed source of intake, preferably at the probable location of the main gate. The amount of dissolved oxygen is determined at the bottom layer of the source of water to be used and tests are done during different times of the day.
1 See Table 2. CP2 for field determination of physical characteristics of soil.
2 Most part of the partitioning dikes of the Brackishwater Aquaculture Center, University of the Philippines in the Visayas, ponds, Leganes, Philippines
were well grown with African Stargrass (Cynodon plestostachyus), a very good measure in the prevention of erosion of the dike side slopes.
There should be a continuing evaluation of changes in the chemical and physical characteristics of the water and also the knowledge of the hydro-dynamics of the estuary. Collection sites could be located at the mouth of the stream at the location of the proposed canal entrance and on the shore close to shore features. At each data collection site, field data are collected along the vertical. Properties or constituents measured in the field are dissolved oxygen, temperature, pH and turbidity and transparency by the Secchi disc. Laboratory analyses include the principal inorganic ions, biochemical oxygen demand (BOD), chemical oxygen demand (COD), presence of insecticides and herbicides, ammonia, nitrite, nitrate, and some selected ions such as phosphate and iron.
Water quantity measurements are not too critically important for most brackishwater farms, this is however, a critical factor in site selection for freshwater farms, as the size of the farm will depend on minimum flow rate of the source (ground or surface water). Freshwater is however important for a brackishwater supply farm especially during a long dry season when salinities become very high due to evaporation. The rate of evaporation would therefore be a determining factor.
Many ground waters contain iron in solution in such quantities that may make water unsuitable for use. In water relatively free from organic matter, iron is precipitated by aeration, and the precipitated iron removed by filtering through a sand filter. The elevated tank in Samut Sakhorn (Thailand) can adequately provide the head necessary to operate the spray nozzles or tricklers and the sand filter for this purpose.
3.3 Tidal studies
A tidal survey for times and heights of tidal flow at areas adjacent and inside the proposed farm site should be conducted, as water supply and drainage of the pond water make use of tidal action and flow by gravity. Information about the tidal fluctuation at the farmside can be obtained from tide tables by referring to the nearest station of reference. The data obtained however, will be in variance with conditions at the site, and therefore gauging by use of tide gauges or tide staffs are conducted at the site and at the river mouth. This process is done over a period of time. Time and height differences will be accented as the distance of the farm site from the coast increases.
The actual height of water at the farm site during a certain day could be obtained by simply multiplying the predicted height at the reference station corrected to that for the secondary station of reference for that day by the tidal ratio applicable to that particular state of tide. This ratio is obtained from tidal surveys made at the farm site. Example of this exercise is shown in Table 1.
When ground elevations cannot be referred to a previously established bench mark by land survey, the height of the tides as corrected may be used for vertical control for land elevations.
For tide-fed brackishwater fishfarms, tidal fluctuation of above 3 meters will bring problems in management. For instance, manual gate manipulation by the use of flashboards cannot be attended to easily by one man. Since water pressure varies with depth, the water pressure acting on a flashboard at 3 meters (10 ft) below the water surface would be in the vicinity of: (64 × 10 = 640 lbs/sq ft (3 125 kg/m2) and, for a flashboard length of 4 ft (1.2 m), the total hydrostatic pressure would be 640 × 4 = 2 560 lbs (1 161 kg) for a 12-inch (30 cm) wide board (See CP-2, Fig. 1 and Annexes A and H).
Table 1
Ratios of tidal range at Tanjong
Dawai to that at site of proposed farm1
(after Hechanova and Tiensongrusmee, 1980)
Time difference: +25 minutes
| State of tide | Height difference (m) | Correction ratio | |
|---|---|---|---|
| At reference station (predicted) | At site of farm (observed) | ||
| MHHW2 | 2.37 | 2.57 | 1.08 |
| MHLW2 | 0.96 | 0.94 | 0.98 |
| MLHW2 | 2.12 | 2.33 | 1.09 |
| MLLW2 | 0.72 | 0.75 | 1.05 |
| LAT2 | - | - | - |
| HAT2 | - | - | - |
1 Data were taken from 1979 Tide Tables for secondary port at TanjongDawai (reference tide station) and the proposed farm site (SungaiMerbok); average for the months of August and September, usingautomatic and stick gauges.
2 MHHW: Mean higher high water; MHLW: Mean higher low water;MLHW: Mean lower high water; MLLW: Mean lower low water;LAT: Lowest astronomical tide; HAT: Highest astronomical tide.
High tidal ranges greater than 3 meters would require that the dikes be very high and with massive bases, and a berm would be required on the pond side to facilitate maintenance and inspection of the dikes and for monitoring of the cultured species.
Very high dikes would require a large volume of fill material and this situation would create the problem of availability of borrow areas. The cost of development would indeed be high. Gates would be massive and they certainly would require a lifting mechanism.
Some people believe that in areas where the tidal range is too narrow for fishfarm management, ponds can economically be built by simply constructing a ditch-levee type of construction and by pumping water into the ponds. The economics of land use and of pumping needs also have to be looked into.
3.4 Pollution
Selection of a suitable farm site involves the determination of what harmful substances are released or used upstream, the geographic location of pollutant dumping areas and the evaluation of future water and environmental pollution problems.
Strip and underground mining create large volumes of wastes which yield acidic runoff that finds its way into rivers and streams and into the underground soil. Site No. 2 at Kampar in Malaysia for instance, was not selected to be suitable for the MAJUIKAN Centre because of the tin mining activity in the adjacent areas and the possible pollution of Sungei Kampar, the only source of water (MAJUIKAN, Tanjong Tualang Centre, Perak, Malaysia, 1979) among others (Tiensongrusmee and Hechanova, 1980).
In some places where there are partially enclosed or sheltered bodies of water, seasonal outbreaks of red tide may occur. This is due to the discharge of municipal and industrial wastes from high population density areas along the shores. To farms in the Philippines which are the coastal areas, water pollution has caused enough concern as these areas which were once excellent fishing grounds are gradually threatened by red tide occurence.
A knowledge of the character of the stream flow and of the silt load is desirable. Difficulties are encountered in farm operation and management due to a heavy load of sediments in water. The economic life of the farm or for many of the structures has been much shorter than anticipated. The silting up of the canals and of the ponds make them inefficient and very costly to maintain. Minimizing silt loads would be the basis for design rather than desilting.
Siltation of the main supply channel and ponds of the Bangil farms in Kalianyar in East Java and the surrounding pond areas is one of the problems. The silt load of the Porong river which traverses the area was observed to be apparently heavy as indicated by its high turbidity and sluggish flow. Silting of the river bed increases flood heights and would create more flooded areas. Suggestions on layout and design are presented but they are not the total solution to the particular problem of siltation.
The use of pesticides in agriculture will continue as it appears that this is one of the most effective methods of farming to increase food production. The effects of these contaminants on aquatic life will depend on the toxicity and persistence of such substances.
More information on pollution and its effects should be given to the public through the use of the media and educational institutions.
3.5 Vegetation
The type of vegetation can be a good index of the site elevation and of the type of soil. The presence of excessively big stumps may indicate poor soil. The expense of development depends on the size and age of trees because destumping activities will entail a lot of expense. Thickly vegetated areas should be avoided, if possible. Areas near the river banks and those at coastal shores exposed to wave action will require a buffer zone with a substantial growth of mangrove.
Topographic and area surveys are essentials in planning layout and construction specifications. A fishfarm must have the proper elevation to ensure an adequate water supply and to effect drainage when needed. Instruction or training on how to conduct a preliminary survey of a possible project site is necessary.
In the Philippines, guidelines for release of disposal mangrove areas have been listed when site conditions are:
In swampy areas and tidal flats, where there are no extensive mounds or depressions and the site elevations range from 1 to 4 ft (0.3–1.2 m) above the datum plane
Areas without vegetation or those with small growth that are easy to clear
Areas where there is a steady supply of both fresh and brackishwater throughout the year
The site is capable of being drained
Areas with clay, clay-loam and sandy clay soil
Areas where there is freedom from flood
Areas where there is availability of inputs such as fish fry, feeds, fertilizers and manpower.
Mangrove swamps utilized for fishponds should provide a buffer zone of at least 20 meters for drainage of floodwaters as well as for conservation of mangrove resources. Mangrove swamps which are close to the sea and subjected to the effects of high winds and waves should be reserved as timberland. Areas which are near steep mountain ranges are unsuitable because it would be difficult to contain the floodwaters from areas of high slopes and are expensive to undertake. In the development of farms along coastal areas, the law provides that a strip of at least 20 meters wide along the banks of rivers and, a belt of not less than 100 meters facing the bays of the sea be excluded from fishpond development.
4. SELECTED REFERENCES
Gedney, R.H., J.M. Kapetsky and W.W. Kuhnhold. 1982 Training on assessment of coastal aquaculture potential in Malaysia. SCS/GEN/82/35: 62p.
Hechanova, R.G. and B. Tiensongrusmee. 1980 Report of assistance on selection of site, design construction and management of the Ban Merbok, Kedah, Malaysia Brackishwater Aquaculture Demonstration Project. SCS/80/WP/88: 112p. 9 Annexes
Hechanova, R.G. 1980 The engineering aspects of selected aquaculture projects in Indonesia. SCS/80/WP/98: 79p.
Hechanova, R.G. 1977 Practical applications of the basic principles of hydraulics and soil mechanics in aquaculture engineering. In: SCSP-SFDC/77/AEn/CP-14: 433–452
Jamandre, T.J. and H.R. Rabanal. 1975 Engineering aspects of brackishwater aquaculture in the South China Sea region. SCS 75 WP 16: 37p., 17 Annexes
SCS/82/CFE/CP-23
by
J.M. Kapetsky
1. INTRODUCTION
Why be concerned with the possible environmental effects of coastal aquaculture when it is apparent that other users of coastal zone resources perpetrate impacts which are more serious environmentally than those of coastal aquaculture?
One answer to this question is that multiple-use of coastal resources is, overall, more productive than a single use. It then follows that if one use negatively impacts another use, such as aquaculture on capture fisheries, or forestry on aquaculture, then overall use is made less efficient and overall productivity is reduced.
Specifically, with regard to fishery uses a combination of coastal aquaculture with capture fisheries can considerably enhance fishery output from the coastal zone, if both are properly managed. In this regard, there is an increasing awareness of the role and economic value of coastal systems such as coastal lagoons, estuaries, sea grass and mangrove systems in maintaining near-shore and off-shore capture fishery resources. Therefore, coastal aquaculture as one of the uses of these systems should be seen as wise and highly productive use rather than as a misuse.
It is thus in the aquaculturist's interest to objectively consider the negative environmental impacts of coastal aquaculture as well as the benefits. In this way, the negative environmental effects of coastal aquaculture can then be eliminated by more attention to site selection, and by modifying design and operational aspects of the culture installation.
2. POTENTIAL ENVIRONMENTAL IMPACTS OF COASTAL AQUACULTURE
Broadly, the potential environmental effects of coastal aquaculture fall into four categories:
Increased incidence of diseases.
These, along with some suggestions for means of minimizing negative effects are considered in the following sections.
2.1 Changes in water quality
For there to be any more than local effects (i.e., in the immediate area of the aquaculture installation), the aquaculture operation would have to be large relative to the body of water receiving the effluent. In coastal aquaculture this should be a rather unlikely situation in most cases because initial attention to site selection would automatically eliminate sites where the culture effluent would not be rapidly diluted or otherwise carried away by water currents. This is because the cultured animals themselves are highly sensitive to lowered water quality. However, H.F. Henderson2 points out that in areas where the initial establishment of coastal aquaculture has been successful, a rush by others to join this venture may develop. Therefore, even though the original operators paid proper attention to site selection criteria, subsequent entrants in their haste might not have.
In this situation it is possible that waste products or physical interference with water circulation from one operation could lower the water quality (or quantity) for neighbouring operations.
Semi-closed coastal lagoons and nearly cut-off arms of estuaries offer attractive sites for coastal aquaculture. It is in these places that circulation and dilution possibilities may be reduced and therefore the quality of aquaculture effluents becomes an important consideration. Given the possibility of coastal aquaculture in semi-closed systems, it is worthwhile to consider some of the effects of freshwater aquaculture in semi-closed systems for possible indications of future problems in coastal areas.
In freshwaters in closed or semi-closed lake systems Leopold and Bninska (1980) and Korycka and Zdanowski (1980) called attention to the negative effects of cage culture in Polish inland waters. These included mineral and organic loading leading to eutrophication with accompanying proliferation of algae and permanent changes in the distribution of dissolved oxygen. Somewhat contrasting but preliminary results from the cage culture of rainbow trout in a Scottish freshwater lake suggest that the benthic system there appears to be capable of adapting to high loading levels (400 t of trout produced in cages in a 70 ha system which is equivalent to about 5 700 kg/ha taken over the entire surface area of the lake). Another effect noted was the “astonishing growth of wild fish” (Muir, pers. comm.).
One means suggested to control eutrophication due to nutrient inputs from cage culture in the lake was to periodically harvest the wild fish thereby producing additional indirect benefit from the culture operation while lowering the nutrient content of the system.
1 Contribution to the FAO UNDP-SCSP Consultation Seminar on Coastal Fishpond Engineering, Surabaya, Indonesia, 4–12 August 1982.
2 Chief, Inland Water Resources and Aquaculture Service, Fisheries Department, FAO, Rome.
Another means of local water quality control when build-up of wastes becomes a threat in intensive cage culture is an “underwater mixer” which has been developed for dispersal (Fishing News International, April 1982). This is no more than a motor-driven propeller in a nozzle on a track which allows for vertical adjustment.
Other workers have reported positive effects in wild fish populations as a by-product of cage culture. Kilambi (1980) noted increased population size of a wild top predator in a small inland lake in southern U.S.A. in which cage culture was being practised. This was brought on by cage culture-related increases in zooplankton and prey-fish populations. Kilambi (op.cit.) also mentions observations from other studies (Eley, Carroll and De Woody, 1972; Loyacano and Smith, 1975) which indicate greater densities of wild fish in the vicinity of cages that elsewhere, and also better sport fishing success near cages.
Guerrero (1982) states that among the ecological impacts of introduction of fishpens in Laguna de Bay (Philippines) was the recovery of the population of a heavily exploited catfish and the build-up of snail populations. The latter provide a “fishery” and are harvested for duck feed. The fishpens are said to provide shelter for the catfish and snail, and a breeding place for the catfish. The snails apparently thrive on fish wastes.
The culture of mussels, Mytilus edulis, in Spanish estuaries and on the west coast of Sweden has been investigated to determine effects on the aquatic environment.
In the Rio de Arosa, Spain, about 160 000 mt wet weight of mussels are produced annually using rafts within an estuary of about 25 000 ha. Tenore and Gonzalez (1976) surveyed epifauna and infaunal benthos associated with the mussel culture and concluded that mussel culture enhances secondary production in the estuary. However, Chesney and Iglesias (1979) in examining the effects of mussel culture on demersal fishes resident in the estuary concluded that fishes were unable to fully utilize the vast epifaunal resources associated with the rafts. This was because many of the kinds of epifaunal organisms were unsuitable as food. Also, the production of large amounts of feces and pseudofeces by the mussels adversely affected the infauna below the rafts and therefore there was little gain in food availability to the demersal fishes.
Dählback and Gunnarsson (1981) have looked into sedimentation and sulfate reduction in relation to mussel culture by the longline technique on the Swedish west coast. They state that the environmental influence of intense mussel culture must be considered. This appears to be because of some risk that anoxic conditions might develop or that sulfide could reach the mussels as the result of increased sedimenting and sediment build-up, and the resulting intense sulfate reduction. Such a risk is particularly likely if water circulation is not sufficient and if the mussel culture covers a relatively large part of the water area available.
To alleviate the effects of sedimentation from cage culture of trout, each cage is moored with a single anchor and chain so that the cage is free to move over a relatively large radius (Beveridge, 1981). Where space is not limiting, this also could be adapted to mussel raft culture as a means of reducing sediment effects per unit of area.
Alleviation of the environmental effects of cage culture provides a good example of the need for some kind of overall control over the intensity of site occupancy — adequate space may be available initially, but upon expansion problems may develop. Yim (1982) cites the rapid and unregulated expansion of the mariculture industry in Hong Kong as having given rise to a number of undesirable effects. These included over-crowding of fish rafts which adversely affected production, and a number of multiple-use conflicts with other kinds of users. Ultimately this has led to the formulation of legislation to regulate the further orderly development of the industry.
Environmental problems arising from the discharge of fishfarm effluents was the subject of a recent workshop of the European Inland Fisheries Advisory Commission (Alabaster, 1982). Even though the area under consideration was Europe, and most of the experience was from culture of cold-water fish in inland waters, some of the problems and solutions identified could carry over to coastal aquaculture. These are summarized below.
Two general points emerged which are worth emphasizing, one of which is that problems with fishfarm effluents were responsible for limiting the expansion of the industry in some countries. The other point is that as a result of environmental impacts of fish culture, legislation to regulate fishfarming is being developed.
On the technical side, it was concluded that attention to the physical and chemical make-up of fish feeds could be an important factor in reducing pollutant effects. Feeds with physical characteristics which cause them to settle more rapidly would reduce suspended solids in effluents through settlement traps in outflows. Feeds with lower concentrations of phosphorus would lessen plant nutrient loads in effluents. Also, it was noted that there was considerable scope in farm design and farm management for reducing pollution, particularly for the removal of solid wastes. Treatment of fishfarm effluents was considered. Technology for the removal of solid wastes is available. However, much work needs to be done on methods for nutrient stripping, and aeration, as well as on the economic implications of treatment of fishfarm effluents.
For coastal aquaculture effluents Barnett and Lin (1979) have developed a method of nutrient stripping which uses foam made from seafood processing wastes. The beauty with this system is that one source of pollution is used to alleviate another, thereby reducing both.
2.2 Introductions of exotics
The implications of the transplantation of aquatic organisms on aquaculture and ecosystems have been reviewed by Rosenthal (1976). Odum (1974) also provided an overview of this subject in connection with coastal aquaculture.
Insofar as coastal aquaculture is concerned, harmful impacts from exotics can arise in three ways:
Unforeseen consequences from the purposeful transplantation of an organism into new localities;
Accidental introductions made in connection with the purposeful transfer of other species; and
Escape of organisms being held or transported for purposes other than introduction.
Rosenthal (1976) gives a number of examples of accidental introductions in connection with purposeful transfers. One of these which pertains to coastal culture was the introduction of a limpet along with the transfer of American oysters to Europe. The effect was that the limpet displaced oysters from their beds and interrupted the spatfall of naturally occurring oyster species, not only in the area in which it was accidentally introduced, but elsewhere as well as the result of a rapid spread.
Live transport and live storage of cultured organisms, particularly if over long distances is another way in which coastal aquaculture could unintentionally contribute to economic and ecological problems. This may be a real danger in those areas where a high value is placed on the live display of fish and shellfish before they are selected for consumption. At shoreside holding establishments or waterside restaurants there is ample opportunity for not only the introduction of the transported species itself, but also of its parasites and diseases as well as of the fry or larvae of other fish, molluscs or crustaceans accidentally included with the shipment.
2.3 Loss of naturally productive areas
This is perhaps the most serious of the potential environmental impacts of coastal aquaculture, in particular as it applies to aquaculture in mangrove areas. It is therefore worthwhile to look at the situation in some detail and to attempt to suggest ameliorative measures.
It can be taken as given that mangrove systems, here defined as mangroves with their associated flora and fauna and adjacent open-water estuaries, tidal creeks, mudflats, and lagoons, are important for supporting local fisheries and fishery resources in a number of ways as illustrated in Fig. 1. The actual biological dependence of offshore and nearshore fishery resources on this system remains open to quantification. but the increasing weight of evidence (e.g., D'Croz and Kwiecinski, 1980; SCS/GEN/81/30) certainly favours the proposition that the dependence is real and the value for capture fisheries high — nearly US$100 000 per km of mangrove shoreline in the above-cited study in Panama, Values of these systems for other uses (e.g., forest products, reclamation for agriculture, urban and industrial sites) also must be recognized as real and legitimate under certain economic conditions. Therefore, it is in the best interests of the expansion of coastal aquaculture to be judged as blameless with regard to negative impacts on the mangrove systems, or better, as enhancing the value of the systems while causing the minimum of damage for other uses.

Fig. 1 Some functional relationships of mangroves with local small-scale capture fisheries and with local fishery resources
Concern that coastal aquaculture should be so executed, as well as overall concern with the coastal environment (e.g., IUCN “Global Status of Mangrove Ecosystems”) has prompted a number of authors to suggest practical guidelines for siting and operating aquaculture installations in mangrove systems. These are summarized below:
1. Where economic and siting conditions permit, kinds of aquaculture should be established which do not involve destruction of mangroves and associated flora and fauna — Christensen and Delmendo (1978) suggest the use of fish cages and enclosures, for example, which would be located in open-water areas. This is, however, not a complete solution as cage/ pen culture installations require some land-based support facilities.
This guideline is not entirely practical given present technology because shrimps and milkfish for example, require a pond-style substrate and semi-closed system for culture. On natural substrate, the concentration of natural fish food organisms can be enhanced. Pen culture in open but protected waters might provide an alternative; however, at the expense of using more artificial food to replace lost opportunities for increasing natural production.
2. Integrated aquaculture and forestry — A number of authors have suggested the integration of forestry and aquaculture in mangrove systems, among them Lawas et al. (1972), Rabanal (1977), Christensen and Delmendo (1978), and Foo and Wong (1980). These have included planting of mangroves along fishpond dikes and other nearby suitable areas. For large culture operations, the mangroves would serve as wind breaks and would also stabilize temperature and other physico-chemical fluctuations. The mangroves would be continuously planted, and eventually they would be harvested as an additional source of income for the fishfarmers.
In evaluating one practical application of these ideas Poernomo (1980) has drawn attention to some drawbacks from the fish culture point of view. In this scheme, farmers were permitted to use mangrove areas for fish rearing for limited periods of 3 to 5 years only, and with the provision that the shallow middle areas of ponds would be replanted with Rhizophora and Avicennia. The drawbacks were the following:
The mangroves planted in the middle of the pond interfered with intensive culture of shrimp and milkfish. Mangroves planted only 2–3 m apart did not allow sufficient space for growing shrimp and milkfish food;
Mangroves provided refuges for fish and shrimp pests such as snakes, birds, otters, crabs, and predatory fishes, from which they could not be eradicated;
Due to tese management difficulties productivity of the ponds was low; and
Because leases were too short, and the productivity of these ponds was low, fishfarmers had difficulty in obtaining credit.
Another drawback of having mangroves in ponds or along dikes is that it is then more difficult for the farmer to prevent poaching (Christensen and Delmendo, 1978).
3. Preservation of a functional ecosystem — Given the practical difficulties mentioned above some of the following guidelines given by Ong, Gong, and Wong (1980) are probably more workable. Underlying these guidelines is the idea that the mangroves should be utilized for aquaculture so as to ensure that the ecosystem remains functional. Accordingly, they stress that:
Wherever possible aquaculture should be established on areas already reclaimed from mangroves, such as unused paddy land, rather than in productive mangrove stands. This also reduces or eliminates clearing costs for aquaculture site preparation; and
Where installations are to be constructed in mangroves, the least productive parts of the forest should be utilized, or those areas with the lowest-value trees.
In addition to the guidelines offered by Ong, Gong and Wong (1980), it has been suggested that aquaculture sites, wherever possible, should be located toward the landward side of mangroves (Gedney, Kapetsky and Kuhnhold, 1982). This guideline is based on the perception that the most productive portions of mangroves for capture fishery resources (nursery, shelter, reproduction functions) are the parts which are most frequently and deeply inundated by tides. Although this might mean that pumping would be required for water circulation in ponds, it appears that there are some advantages to be gained in culture efficiency with pump-fed pond systems for shrimp culture (Pedini, 1981) which could then be realized by such siting practices.
Along these same lines Saenger, Heger and Davie (1981) stress that the area occupied by ponds and other elements of the farm should be small in relation to the overall area of the mangrove system in which they are installed. This is so that mangroves will continue to function as a productive system — namely, that there will be minimal interference with freshwater inputs from the landward side and that as much of the system as possible remains accessible to tidal action, both of which provide the lifeblood to mangroves and associated flora and fauna.
4. Cooperation with forestry interests — As Rabanal (1976) has rightly pointed out aquaculture is a rational use of mangroves and one that “best preserves the ecological conditions of the mangroves as a biologically balanced environment”. Utilization of mangrove forest products is another rational use. Therefore, from the completely practical point of view forestry and aquaculture interests should take every opportunity to cooperate in establishing use allocations. There are a number of mutual advantages in this:
With both aquaculture and forestry utilization established, the measurable economic value of the mangrove system is increased;
This, in turn, helps to protect the mangrove system from other non-sustainable or outright destructive uses (or makes it more difficult to economically justify them such as reclamation for agriculture, urban, or industrial uses;
Forestry and fishery utilization as combined sustainable and established uses also benefit minor users of these systems such as traditional hunters, and harvesters of mangroves for building materials and gathering of firewood for personal use.
Permitting fishery interests to establish properly sited, properly constructed and managed aquaculture farms in or nearby mangroves helps forestry interests by improving forestry access for surveys;
Incorporation of forestry experts in the aquaculture site selection process also draws attention to forestry management opportunities which might otherwise have been overlooked. (Identifying the most productive areas for silviculture, turning over the least productive areas for aquaculture). This, in turn is advantageous for capture fishery uses in protecting the functions of the mangrove system for this as yet unquantified use.
2.4 Increased incidence of diseases
There are a number of ways in which coastal aquaculture could potentially contribute to disease problems:
accidental introduction of diseases both to wild and cultured populations through transfers of cultured organisms; and
generation of conditions favourable for disease outbreaks in intensive or extensive culture.
An example of the first kind is the spread of Mytilicola orientalis. This organism causes pathological changes in the gut of oysters. It is believed that M. orientalis accompanied the transfer of Japanese seed oysters to the U.S.A., where it then attacked Pacific oysters. This disease organism has additionally spread from the Mediterranean to Northern Europe by unknown means where it is now also affecting mussels (Rosenthal, 1976).
For the latter type of impact documentary evidence is lacking for outbreaks of diseases in wild populations insofar as coastal aquaculture in the tropics is concerned; however, in temperature waters whirling disease of salmonids, usually found in hatcheries and ponds, is known to have spread to wild populations. An additional consideration is that culture conditions may lead to increasing disease incidence in man. For example, pond culture of Tilapia in Puerto Rico provides additional habitat for the fluke responsible for schistosomiasis and its intermediate snail host (Odum, 1974).
2.5 Other potential impacts
Kapetsky (1981) has suggested that coastal aquaculture could have negative impact to coastal fishery resources by its use and dependence on large quantities of wild seed. This kind of impact could conceivably be caused by overfishing of seed resources to the point that both capture and culture fisheries would be economically affected by seed scarcity. Another way in which seed capture for culture purposes could affect fisheries is if seed capture operations inadvertently destroyed fish or crustacean larvae as discarded by-catch.
Saenger, Hegerl and Davie (1981) suggest that large-scale shrimp culture in Ecuador has caused habitat destruction, which, combined with the effects of a seed fishery and an off-shore fishery on shrimp stocks, is now causing difficulty in obtaining wild seed. However, it should be pointed out that most of the shrimp culture ponds have been constructed in the “salitrales”, landward and outside of the mangrove zone. The reasons given for the stated difficulty in obtaining seed by Ecuador (1978) are presented in a speculative fashion and do not appear to have been based on scientific investigations.
3. SUMMARY AND CONCLUSIONS
3.1 Increasing attention is being given to coastal aquaculture as one of the sustainable but competing uses of the coastal zone. Critical attention is also being directed to possible negative impacts of coastal aquaculture on the coastal zone environment. It is in the best interests of the future development of coastal aquaculture that the kinds and magnitudes of potential negative impacts of coastal aquaculture are objectively evaluated so that ameliorative measures can be taken.
3.2 Four major types of effects have been identified:
increase in disease incidence.
3.3 Water quality — Evaluation of available information suggests that the potential for negative impacts on water quality are slight except perhaps in semi-closed lagoon arms of estuaries, or other confined places, or when there is an explosive expansion of the industry. This is because any contamination caused by aquaculture might recontaminate the same site. Therefore, attention to site selection would automatically eliminate such possibilities. There is some information to suggest that local eutrophication from aquaculture benefits wild fish populations.
3.4 Introduction of exotics — There are four principal ways by which transplantation of exotic species can take place, and of these, three — purposeful transplanatation into new localities, accidental introductions in connection with transfer of other species, and escape of organisms transferred for other purposes — potentially could be caused by coastal aquaculture activities in the tropics. Documented damage has been due to accidental introductions of pests and diseases in connection mainly with oyster transfers. Because the ecological consequences are largely irreversible and the economic magnitudes very large, attention should be paid by coastal aquaculture developers to these dangers. Attention is required not only at the production level, but also at the transport and marketing sectors of the industry.
3.5 Occupation of naturally productive areas, or displacement of natural production — Insofar as tropical coastal aquaculture is concerned, the broader main environmental issue is the extent to which culture installations potentially impact mangrove ecosystems as compared with other multiple uses. In the narrower context of fisheries there is a potential conflict between capture and culture fishery interests which revolves around the biological dependence of capture fishery resources on mangrove systems.
The point is made that many kinds of coastal aquaculture represent sustainable uses of mangrove systems. Another point is that cooperation between sustainable users such as aquaculture and forestry can appreciate the value of mangrove systems. This, in turn, protects the mangrove system from non-renewable, destructive uses such as reclamation for industry, agriculture, or urban centres while helping to preserve the system for traditional uses such as hunting, small-scale fishing, and extraction of household materials.
With regard to possible culture fishery effects on capture fishery resources a number of practical guidelines have been assembled which, if followed, could minimize any negative impacts of aquaculture on the mangrove ecosystem.
3.6 Increase incidence of diseases — There are two ways in which coastal aquaculture could potentially contribute to this problem, one of which is through the accidental introduction of diseases to wild and cultured populations through transfers. The other is through the generation of conditions favourable for disease outbreaks by intensive culture. In the latter, the culture conditions could favour disease outbreaks by intensive culture. In the latter, the culture conditions could favour disease organisms dangerous to man, such as has been documented in the case of schistosomiasis. For the former there is little evidence for tropical coastal aquaculture, but serious economic losses and environmental damage to wild stocks suffered in temperate regions suggest that potential dangers remain and must be taken into account.
3.7 Other impacts of coastal aquaculture — Attention has been drawn to the possibility that the need for wild seed in coastal culture could result in overfishing of seed stocks to the point that capture and culture fisheries would be adversely affected economically. As far as is known, fishing of seed for culture per se has not resulted in depletion of stocks or competition with capture fisheries; however, information from Ecuador in connection with shrimp capture and culture fisheries calls attention to this possibility if shrimp nursery habitat is also significantly reduced at the same time.
3.8 Site selection and aquaculture engineering implications — In comparison with non-sustainable, destructive uses of the coastal zone, most negative impacts of coastal aquaculture are relatively slight. However, if ample attention is given to site selection, culture installation design, and to the management of culture operations — all of which ensure the success and enhance the value of the culture — then negative environmental impacts can be kept to a minimum and the industry can continue to develop in a rational and efficient manner.
4. REFERENCES
Alabaster, J.S., 1982 Report of the EIFAC Workshop on fishfarm effluents. Silkeborg, Denmark, 26–28 May 1981. EIFAC Tech. Pap., (41): 166p.
Barnett, S.M. and S.F. Lin. 1979 A cleanup process for aquaculture that uses seafood wastes. Maritimes, 23(4):6– 8p.
Beveridge. M., 1981 The environmental impact of cage fish culture on Loch Fad, Bute. Report commissioned by Rothesay Seafoods Ltd. 13p.
Chesney, E.J. Jr., and J. Iglesias, 1979 Seasonal distribution, abundance and diversity of demersal fishes in the inner Rio de Arosa, Northwest Spain. Estuar. Coast. Mar. Sci., 8:227–39
Christensen, B. and M.N. Delmendo, 1978 Mangroves and food. Paper presented at the Eighth World Forestry Congress, Jakarta, Indonesia, 16–28 October 1978. 27p.
Dahlback, B. and L.A.H. Gunnarsson. 1981 Sedimentation and sulfate reduction under a mussel culture. Marine Biol., 63:269–75
D'Croz, L. and B. Kwiecinski. 1980 Contribution de los manglares a las pesquerias de la Bahia de Panama. Rev. Bid. Trop., 28(1):13–29
Ecuador, 1978 Criadero de camarones: diagnostico y recomendaciones. Guayaquil. 64p. (mimeo)
Eley, R.L., J.H. Carroll, and D. DeWoody, 1972 Effects of cage catfish culture on water quality and community metabolism of a lake. Proc. Oklahoma Acad. Sci., 52:10–5
FAO/UNDP 1981 South China Sea Fisheries Development and Coordinating Programme. Report of the Workshop on the biology and resources of penaeid shrimps in the South China Sea Area. Part II. Kota Kinabalu. Sabah, Malaysia, 30 June — 5 July 1980. SCS/GEN 81 30. 143p.
Foo, H.T., and J.T.S. Wong. 1980 Mangrove swamp and fisheries in Sabah. In Furtado. J.I. (ed.) Tropical ecology and development. Proceedings of the Vth national Symposium of Tropical Ecology. The International Society of Tropical Ecology, Kuala Lumpur. pp. 1157–61
Gedney, R.H., J.M. Kapetsky and W.W. Kuhnhold. 1982 Training on assessment of coastal aquaculture, Manila. SCS/GEN/82/35. 62p.
Guerrero, R.D., 1982 Ecological impacts of fishpens and administrative problems of the fishpen industry. In Report of the training course of small-scale pen and cage culture for finfish. SCS/GEN/82/34. pp. 75–7
Kapetsky. J.M., 1981 Some considerations for the management of coastal lagoon and estuarine fisheries. FAO Fish. Tech. Pap., (218):47p.
Kilambi, R.V., 1980 Cage culture of channel catfish and rainbow trout and effects of intensive fish culture on resident large-mouth bass. Paper presented at the EIFAC Symposium on new developments in the utilization of heated effluents and recirculation systems for intensive aquaculture. Stavanger, Norway, 28–30 May, 1980. Rome, FAO, EIFAC/80/Symp. E 69
Korycka. A., and B. Zdanowski. 1980 Some aspects of the effect of cage culture on lakes, with special reference to heated lakes. Paper presented at the EIFAC Symposium on new developments in the utilization of heated effluents and recirculation systems for intensive aquaculture. Stavangar, Norway, 28–30 May, 1980. Rome, EIFAC/80/Symp. E 69
Lawas. J.M., et al., 1974 Economic study on the alternative uses of mangrove swamps: bakawan production on fish ponds. Proceedings of the 15th Session of the Indo-Pacific Fisheries Council, Wellington, New Zealand, 18–27 October, 1972. Section III, Coastal Aquaculture and Environment. pp. 65–9
Leopold, M. and M. Bninska. 1980 Some economic problems of cage fish culture in heated waters. Paper presented at the EIFAC Symposium on new developments in the utilization of heated effluents and recirculation systems for intensive aquaculture. Stavanger, Norway, 28–30 May, 1980. Rome, FAO, EIFAC 80 Symp. E 60
Loyacano, H.A. Jr., and D.C. Smith. 1975 Attraction of native fish to catfish culture cages in reservoirs. Proc. Southeastn. Assoc. Game Fish. Comm., 29:63–73
Ong, J.E., W.K. Gong and C.H. Wong, 1980 Ecological survey of the Sungei Merbok estuarine mangrove ecosystem. School of Biological Sciences, University Sains Malaysia, Penang. 83p.
Pedini, M., 1981 Penaeid shrimp culture in tropical developing countries. FAO Fish. Circ., (732):14p.
Poernomo, A., 1980 Status of the tumpangsari system of brackish-water pond culture. Paper presented at the FAO IPFC Working Party on Aquaculture and Environment, Indonesia, January 1980. 7p.
Rabanal, H.R., 1976 Mangrove and their utilization for aquaculture. Manila, South China Sea Fisheries Programme. 20p. (Contributed to the National Work-shop on Mangrove Ecology held in Phuket, Thailand, 10–16 January, 1976)
Rabanal, H.R., 1977 Forest conservation and aquaculture development of mangroves. Manila, South China Sea Fisheries Programme. 15p. (Paper contributed to the International Workshop on Mangrove and Estuarine Area Development for the Indo-Pacific region. 14–19 November, 1977, Manila, Philippines)
Rosenthal, H., 1976 Implications of transplantations to aquaculture and ecosystems. Paper presented at the FAO Technical Conference on Aquaculture, Kyoto, Japan, 26 May to 2 June 1976. FIR:AQ/Conf/76/E.67. 19p.
Saenger, P., E.J. Hegerl and J.D.S. Davie (eds.) 1976 First report on the global status of mangrove ecosystems. International Union for the Conservation of Nature, Commission on Ecology, Working Group on Mangrove Ecosystems. 132p.
Tenore, K.R. and N. Gonzalez, 1976 Food chain patterns in the Rio de Arosa, Spain; an area of intense mussel culture. In Persoone, G. and E. Jaspers (eds.). Proceedings of the 10th European Symposium on Marine Biology, Ostend, Belgium, 17–23 September, 1975. Universal Press, Wetteren. Vol. 2:601–19
Yim, T.Y., 1982 Mariculture legislation in Hong kong. In Report of the Training Course of Small-Scale Pen and Cage Culture for Finfish. SCS GEN/82/34. pp. 147–9
SCS/82/CFP/CP-8
by
L.O. Alcantara2
1. INTRODUCTION
1.1 Importance of properly designed coastal fishfarm
In the old days when fishfarming was still new, fishfarmers practised aquaculture crudely by merely enclosing a portion of a mangrove area. The absence of a layout or plan was very noticeable. Practically what were raised were aquatic animals that got inside these “pond traps”. It was only after many years of fishfarming experiences that variations/ modifications were introduced from the traditional design (pond traps) into a more well-planned design or layout. Water management and stock manipulation were the primary considerations that were taken into account. Efficient water management is important in the growing of fish food, elimination of pests and predators and the transfer and harvest of stock. Aquaculturists agree that only if the arrangement of the pond compartments, gate structures and other facilities meets with the needs of proper water management and stock manipulation that one can say that a brackishwater fishfarm is properly designed.
1.2 Objective of study
To increase coastal pond production through improvement of engineering pond design/layout.
To ensure improvement of different basic pond designs in brackishwater fishponds for efficient water management and stock manipulation.
1.3 Time and place of study/observation
Observations were made in the fishpond areas mostly in Region 7 (Cebu, Negros Oriental and Bohol), Region 6 (Iloilo) and Region 1 (Dagupan City and Pangasinan) from 1953 to 1980.
Observations were undertaken on the fishpond areas in Bohol and particularly in the UNDP/FAO-BFAR Demonstration and Training Centre at Barangay Bentig-Calunasan, Calape, Bohol, where a two-stage progression method of pond management system was undertaken starting June 1981 and ending July 8, 1982 (Fig. 1).

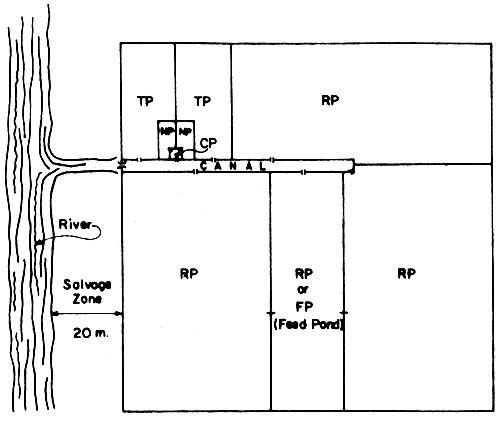
Fig. 1 Layout plan of the FAO/UNDP-BFAR Brackishwater Aquaculture Demonstration and Training Center Calape, Bohol
1 Contribution to the FAO/UNDP-SCSP Consultation/Seminar on Coastal Fishpond Engineering, Surabaya, Indonesia, 4–12 August 1982.
2 Training Specialist, UNDP/FAO-BFAR Brackishwater Aquaculture Development and Training Center, Bentig, Calape, Bohol, Philippines.
2. TYPES OF LAYOUT AND MANAGEMENT
2.1 Conventional system (Fig. 2)

Fig. 2 An example of a conventional pond system
2.1.1 Component units
Nursery pond (NP). The nursery pond “semilyahan” comprising about one percent of the total production area should not be located adjacent to the main dikes as crab holes and crevices formed during the fry rearing process will serve as outlets for the fry from the nursery pond (NP) to the outside. It is best located at an elevation where it can be drained even at ordinary low tides. The nursery pond should be suitably placed where fresh, unpolluted water could be available at any time. A manageable area ranges from 500 to 10 000 m2 per compartment although 1 000 to 5 000 m2 is preferred.
Transition pond (TP). The transition pond or “bansutan” should be located adjacent to the nursery pond to facilitate easy transfer of fingerling stock. Nine percent of the total production area is normally allocated for this type of pond. It is in this pond where fingerlings are stunted for eventual release to the rearing pond. The bottom elevation of such a pond is constructed at a level a little lower than that of the nursery pond. A manageable area ranges from 1 000 to 20 000 m2 per compartment although 5 000 to 15 000 m2 is preferred.
Rearing pond (RP). The largest of the compartments occupying about 80 percent of the total production area, is the rearing pond (RP). Fingerlings from the transition pond are transferred to the rearing pond, wherein they will grow up to marketable sizes. The bottom elevation of the pond must be 15 cm lower than that of the transition pond but higher than the mean low water (MLW). Pond bottom must incline towards the catching pond and/or water supply canal to facilitate ease of harvest of the marketable-sized fish. A manageable size ranges from 1.0 to 7.0 hectares per compartment although 2.0 to 5.0 hectares per compartment is preferred.
Food pond (FP) (optional). The purpose of the food pond (FP) is to produce natural food like “lablab”, “lumot” or other forms of plankton or algae for use as a supplemental feed or for fattening the fish before harvest. The need for a food pond is necessary when it is difficult to grow the natural food and when supplemental feeding is necessary. A suitable area in one of the RP's, TP's or NP's could be utilized as a food pond; but a separate compartment suitably located adjacent to or near the pond where supplemental feeding is to be undertaken, should be selected. Recent practice of fishfarm operators in Region 6, particularly those in Iloilo, is to apportion at least one hectare of food pond for every five hectares of rearing pond. “Lablab” or plankton transfer is effected by gravity flow through the gates, while heavy algal growth like “lumot” is manually gathered and spread to the rearing pond. An advantage of this food pond sometimes called “kitchen pond”, is that the application of fertilizers can be maximized without having adverse effects on fish life usually caused by over-fertilization.
Catching pond (CP). The catching pond serves as a catching basin for fish at harvest time. The water supply canal of the pond systems can also serve this purpose. A catching pond for the nursery and transition ponds must at least be two percent of the water surface area of these compartments, and 1.0–1.5 percent of the area of the rearing ponds if intended for harvesting marketable-sized fish. The catching pond is linked to the pond compartment covered by a gate. Together with dikes and canals it covers about 10 percent of the total production area. Some fishfarmers prefer to use concrete catching pond next to the nursery pond to minimize water turbidity during the transfer of fingerlings.
2.1.2 Management
In this system of pond management only one size group of fingerlings is stocked at 1 000 to 2 000 fish per hectare per crop. From fry to marketable size, the growing period takes 120 to 140 days. Two crops or more are possible per year.
2.1.3 Productivity
Based on 3–4 crops per year, an average annual yield of 1.0–1.2 tons per hectare may be expected.
2.1.4 Advantage
This system requires minimal pond management activities.
2.1.5 Disadvantage
Because of the long rearing period, competitors, predators and pests harmful to the cultured fish are given time to grow and propagate, thus making stock management a more difficult task.
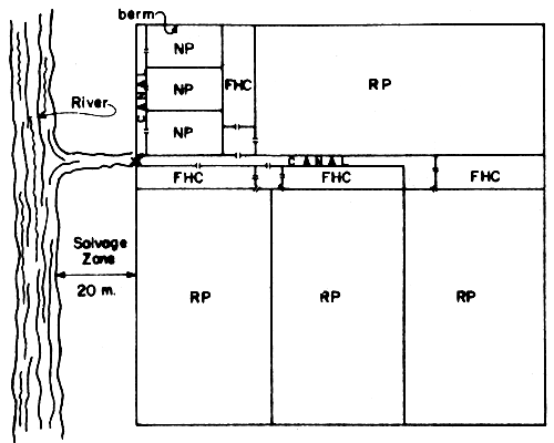
2.2 Progression or modular system (Fig. 3)

Fig. 3 An example of a modular pond system
2.2.1 Component units
Nursery pond (NP). In the modular system considerations for the nursery pond are the same as for the conventional system, except that in the modular system the size of the nursery pond depends primarily on the fingerling requirements of the rearing ponds, in attaining the maximum yearly production target. It occupies about four percent of the total production area.
Transition pond (TP). Considerations for the transition pond are the same as the conventional system except that in the modular system, the transition pond covers only six percent of the total production area.
Production process stages (PPS). In this category of pond system the rearing pond is divided into two, three or more production process stages: PPS1, PPS2, PPS3, etc. The ratio of the area of the PPS' is 1:2:4, etc. Some aquaculturists prefer a ratio of 1:3:9.
2.2.2 Management
The main idea of this system is to transfer the fingerlings from the smaller to the next larger pond or module. Four to six harvests could be realized depending upon the management technique to be employed by the fishfarmer.
2.2.3 Productivity
One thousand to 1 800 kg/ha/year can be harvested by 4–6 harvests from the system per year.
2.2.4 Advantage
Faster rate of growth of the fish can be expected resulting from the progressive thinning out of the fish biomass for each of the given pond compartment. This system has been found to be very effective in the control of competitors, predators and pests of the fish because of short rearing period for any given pond.
2.2.5 Disadvantage
Pond preparation activities are considerably more complicated and laborious.
2.3 Multiple stock/harvest system (Fig. 4)

Fig. 4 Layout of a form by multiple stock/harvest system
2.3.1 Component units
Nursery pond (NP). Considerations for the nursery pond do not differ from those for the conventional system. There will be at least two nursery ponds comprising six percent of the total production area.
Fish holding canal (FHC). This is a new feature peculiar to this system. The purpose of the fish holding canal is to retain fingerlings when the rearing ponds are being prepared. It is connected to the rearing ponds in such a way that each rearing pond will have a separate holding canal covering at least one percent of the rearing pond area. Compartments for transition ponds (TP) are not used as such in this culture system.
Rearing pond (RP). Considerations for the rearing pond should be the same as for the conventional pond system. It covers 94 percent of the total production area including fish holding canals.
2.3.2 Management
This method uses different size groups of fish. Two to four groups are stocked at different times in the pond, one group is smaller in size than the others. After 20–45 days, the big ones are harvested, and another batch of small fish are again introduced. Every 30–50 days the larger fish are harvested. When the amount of natural food present in the pond is not enough for the fish to grow, the fishfarmer has two options either to harvest the fish or apply supplementary feeds. The farmer could run 2–3 crops in a year. Harvesting is by the use of gill net. Few fishfarmers are however adopting the use of the current method or “pasubang” in their periodic fish harvest. This avoids mortality and preserves quality of the harvest.
2.3.3 Productivity
From 3 to 4 crops per year, a gross yield of 1 000 to 2 000 kilograms per hectare can be possible in this system.
2.3.4 Advantage
If properly managed, this method can maximize yield rate by the rotation of stocking and harvesting different size groups of fish. This method can be used advantageously for the polyculture of the bangus (Chanos chanos) and the “sugpo” (Penaeus monodon).
2.3.5 Disadvantage
The use of gill net in harvesting destroys the scales of the fish thereby making it less presentable to fish dealers and customers. Harvesting with gill net will also destroy the bed of algal growth.
3. SUMMARY, CONCLUSION AND RECOMMENDATIONS
Filipino fishfarmers after long years of fishfarming experiences adopt at least three fishpond layout and management systems: namely conventional, modular/progression method, and multi-stock/harvest system. The main considerations in the development of these systems have been concerned with water management and stock manipulation. Most fishfarmers are still operating their fishpond in the conventional system not because it is the best of the three, but due to difficulty or high cost in converting traditional fishponds to the more recent innovation of pond layout, the modular method. Fishpond operators are now slowly going in that direction. Construction of new fishponds through the recommendation of the government extension officers are now more inclined to adopt the modular system of fishpond design/layout. Though introduced in the late 60's, the multistock/harvest system did not spread widely to fishpond operators because fishfarmers do not accept the techniques readily. Only few fishfarmers are adopting this method and have made modifications from practices used in Taiwan. Recently the modular progression system, or improved Philippine milkfish production system has shown much promise among the different pond design/layout. Extension workers in aquaculture can provide the bridge in the transfer of technology of this recent innovation in pond design/layout and management to the fishfarmers.
When the layout/design, water control structures and other facilities mutually harmonize with each other for effective water management and stock manipulation, then we can say that a fishpond is properly designed.
4. REFERENCES
Rabanal, H.R. 1969 Status and progress of Chanos fishery in the Philippines. Proceedings in the 9th Meeting of the Indo-Pacific Fisheries Council.
Tang, Y.A. 1967 Improvement of milkfish culture in the Philippines. Indo-Pacific Fisheries Council Current Affairs Bulletin No. 49, August 1967.
UNDP/FAO-BFAR. 1981 Fishfarming Engineering Manual, Revision I.
UNDP/FAO-BFAR. 1979 Brackishwater Aquaculture Development Training Project, Status Report as of May 31, 1979.
SCS/82/CFE/CP-20
by
K. Chalayondeja2, P. Tharnbuppa2 and S. Sikga3
1. INTRODUCTION
Thailand has a coastline of approximately 2600 km. Of the 300 000 ha of mangrove swamps and tidal mudflats along its coast, 26 036 ha have already been developed for the culture of shrimps (Anonymous, 1980). There are therefore still wide coastal areas available for further shrimp farming development. Samut Sakhorn, Samut Songkram, Samut Prakarn, Bangkok and Cholburi are coastal provinces where active shrimp farming is in existence (Fig. 1). The average shrimp production from all culture areas in 1980 was at 195 kg/ha/ year. Since demand greatly exceeds supply and since yields from capture fisheries have been on a decline, it is therefore necessary to promote the development of shrimp farming. One way of achieving this goal is to improve yield from existing ponds through the betterment of pond design. Modern technology as well as research results obtained should be transferred as soon as possible to the shrimp farmers. To give an example, improved methods for the rearing of shrimp larvae in hatchery, artificial feeding, pest and predator control, water management and improvement of shrimp ponds for intensive culture, should be recommended to both existing and new shrimp farmers, in order to raise the nation-wide target yield set at 500 kg/ha/year.
2. POND SIZE AND LOCATION
The size of shrimp pond ranges from 1.6 to 16.0 ha with the average at 7.8 ha. About 70 percent of shrimp farms are owned by individual farmers with the farm size ranging from 3.2 to 16 ha. It may be said that shrimp rearing in Thailand has been, up to now, regarded as a home industry. Some bigger farms however borrow money from local banks to supplement investment.
The appropriate location of shrimp ponds is 0.5–5.0 km from the coast. Brackish or seawater are led into the farm either directly from the sea or through connecting canals.
3. SOIL CHARACTERISTICS
The soils of mangrove swamps along coastal areas are characterized by a high water seepage rate and a high level of salt content.
1 Contribution to the FAO/UNDP-SCSP Consultation Seminar on Coastal Fishpond Engineering, Surabaya, Indonesia, 4–12 August 1982.
2 Senior Fisheries Biologists, Brackishwater Fisheries Division, Department of Fisheries, Bangkok, Thailand.
3 Senior Civil Engineer. Department of Fisheries, Bangkok, Thailand.
4. TIDE AND LAND TOPOGRAPHY
The Gulf of Thailand has, in general, three types of tidal characters: diurnal, semi-diurnal and the mixed type. The tidal difference is about 0.5–2.0 m and hence no ponds are constructed with the level of the pond bed at 30.5 cm lower than the lowest tidal level, with dikes built at 50 cm higher than the highest tidal level. Engine-driven water pumps of dragon wheel or propeller type, are commonly employed to pump brackishwater with shrimp larvae into the ponds.

Fig. 1 Location and areas of shrimp forms in Thailand in 1980
Note: Figures represent area of shrimp forms in each province (ha)
5. TYPES OF PONDS
In Thailand, shrimp culture can be divided into two categories, namely, the traditional and the intensive methods. The types of ponds are constructed and classified according to the rearing methods.
5.1 Traditional ponds
According to the history of shrimp farming in Thailand, traditional shrimp ponds are usually modified from salt farms or paddy fields by making peripheral canal of approximately 2.5–4.0 m wide with dikes constructed to keep water at 70–90 cm above the bottom of the peripheral canal. This type of ponds is usually built with one water gate at one end with a dragon wheel pump at the opposite end. It has been shown that ponds of this type give very low yield, approximately 25–90 kg/ha/year (Fig. 2).

Fig. 2 Layout of the traditional shrimp pond
5.2 Modified traditional ponds
Since the introduction of the propeller push pump in 1970, the traditional ponds have been modified and provided with higher dikes and larger ditches of about 5–6 m with an effective depth of 100–150 cm. For a pond of 3200 m2 (2 rai) using a diesel engine of 60–90 hp with a tube of a 40 cm diameter (16 inches) water can be pumped to maximum level within 6 hours. As a result, the yield has been improved considerably to 200–300 kg/ha/year. This type of ponds require larger area (Fig. 3).

Fig. 3 Layout of a modified traditional shrimp pond. N,nursery and G1 gate (inlet), G2 gate (outlet)
5.3 Semi-intensive ponds
Following the successful breakthrough of mass production of shrimp seed (hatchery) by the Department of Fisheries in 1971, the layout and design of ponds were modified further by adding nursery pond into the system. These nursery ponds are intended for shrimp seeds from the hatchery; alternatively a detachable nursery pen is sometimes built within the rearing pond, in which after a period of one month, the reared larvae are released into the rearing ponds.
5.4 Intensive ponds
This type of ponds is designed specifically to rear shrimp larvae from hatchery. It is provided with better means to drain and refill water thereby making water clean and fresh most of the time as a result of better circulation. In some ponds water is also aerated to maintain a high level of dissolved oxygen at all times.
Nursery ponds or pens are also constructed within the rearing pond. Supplementary feeding is necessary for this type of rearing. An intensive pond of 1–6 ha with a ditch of 8–10 m wide and 1.5 m deep with a water level above the berm of approximately 75 cm, yields about 1 000–5 000 kg/ha/year (Figs. 4 and 5).

Fig. 4 Layout of an intensive shrimp pond with nursery pens(N), inlet gate (G1), outlet gate (G2)

Fig. 5 Layout of an intensive shrimp pond of 3 ha consisting of three rearing ponds (R) and three nursery ponds (N), and provided with separate intake and discharge gates (G)
6. DESIGN OF SLUICE GATE
The traditional shrimp pond has only one simple water control gate made of wood. After the propeller push pump has been introduced, it is necessary to have sluice gate made of reinforced concrete. The size of the gate depends upon the quantity of water required. The first gate which serves as inlet is constructed connecting the supply canal with the pond from the push pump with the water conveyor partially submerged under the sluice gate. The other gate(s) at the opposite end of the pond is (are) used for controlling the water level in the pond and as a passage for draining the pond.
The drain gate is constructed in such a way that there are two partitions which work in conjunction with each other enabling water control to be adjusted at any desired level.
Generally, for the traditional pond a sluice gate 70–100 cm wide is used for a pond size ranging from 4–8 ha. As for intensive ponds, the sluice gate can be as wide as 2 m with two openings, each 1 m in width. The height of the gate is about 2 m measuring from the bottom to the surface of the pond. The length of sluice gate depends on the width of the dike generally a length of 7.5–8.0 m is acceptable (Fig.6).

Fig. 6 Top and side-section of a block of reinforced concrete sluice gate
To prevent shrimp getting entangled with the sieve, a bamboo fence attached with netting material will be constructed at the entrance to the sluice gate inside the pond.
7. SITE SELECTION
It is important that an initial survey to study the environment, water quality, abundance of natural seed, etc. be first conducted. When a site location has been selected, elevation and topography of the site should be mapped out. The quality of the soil should be studied by boring for soil samples collected at various levels of the sampled depth. In some places where the top soils are sandy but the under soil is muddy-clay good water holding capability can be provided. Mangrove areas generally have an under layer of potential acid soil. In this case it takes longer preparation to attain the required pH level.
It should be noted that mangrove soils containing some percentage of shells could give better production since the calcium carbonate content in the shells helps to balance the pH of the soil. Soils covered with organic sulfate with a yellowish appearance will reduce the pH of the water to a level of 4 and hence it is necessary to use a large quantity of lime to bring the pH back to the required level. It generally takes 2 or 3 years before improved yield can be obtained.
8. DESIGN AND LAYOUT
The design of a pond depends on the amount of investment. Family-sized ponds of 4–8 ha are thought to be more economical for semi-intensive type of culture simply because the initial investment is lower than that for intensive culture system. After years of production, farmers normally modify the semi-intensive pond into the intensive type. As mentioned earlier, the proper size for intensive pond ranges from 1–6 ha with the optimum size at 1–2 ha giving the best yield.
The ponds should have supply and drainage canals opposite each other with a depth of 1.20–1.50 m and a berm of 50–70 cm wide at a depth of 50–75 cm in the ditch. If dikes are to be constructed using manpower, the recommended width is from 1–5 m sloping from 1:1.5 to 1:21. Peripheral dikes and ditches usually have a maximum width of 5 m unless a machine is used to make wider dikes.
Shrimp rearing is known to require a suitable bottom area in preference to the given volume of water in the pond, which is quite different with the rearing of finfishes. Hence, in each pond if possible several ditches are required to increase the bottom area. However, careful consideration must be given to water circulation in the pond, the level of dissolved oxygen in the water, harvesting, complete drainage and mud removal.
9. WATER PUMP
Propeller push pump is presently used in semi-intensive ponds. A diesel engine of 60–90 hp is used to drive a propeller of 36–46 cm (14–18 inches) in diameter fitted with a water tube of 41–46 cm (16–18 inches) in diameter, capable of delivery at the rate of 20–25 m3 min. This is the optimum pump size for a pond of 4–8 ha. To cater for several large pond areas, the engine capacity is increased to 100–200 hp, or alternatively, 2–3 engines of 60–90 hp may be used at the same time. The fuel consumption rate is 8–12 liters/hr and the engine costs around 6 000–15 000 baht or US$300–750.
10. CONSTRUCTION OF POND
Land clearing either by manual labour at a minimum rate of US$3 per day or by D-4 tractor with a rental charge of US$20–30 per day is the normal procedure. Excavation using manual labour can achieve 5 × 4 × 0.5 m of dike per day per person. The rental cost of machine with backhoe or link-belt bucket costs around US$100–150 a day depending on the physical condition of the area.
After excavation is completed, the dike will be made and finished to be followed by construction of the sluice gates, the pump house and installation of water pump.
11. POND MANAGEMENT
New ponds after drying and flushing with water can then be filled with water allowed into the pond through the sieve to prevent fish and other large predators from entering. In the case of pond with high acidity, lime should be applied by spreading on the dikes and the bottom of the ponds. Flushing of the pond after lime application is also required.
As for the semi-intensive rearing system, after a period of rearing for 1.0–1.5 months, teaseed cake should be applied to eradicate fish present in the pond. The water should be changed as often as possible using the sluice gate.
11.1 Seed stocking
The number of seeds for a nursery pond or pen is about 75–100 of PL-20/m2. After growth for one month the postlarvae should be transferred into the rearing pond. The stocking density in the rearing pond is dependent upon the type of culture. For semi-intensive culture, it is about 5–10 pieces/m2, and for intensive culture this is increased to 15–30 pieces/m2.
11.2 Feeding
For the rearing of postlarvae minced fresh fish is given 3–4 times per day at a total weight as that of the estimated biomass. Observation on the uneaten feed on water quality and shrimp activity should be made in order to arrive at the correct calculation of the quantity of feed for the following day.
In growout pond crushed fresh fish mixed with 5 percent rice bran is given at the rate of about 10–20 percent of the estimated weight of the shrimp biomass everyday in the evening.
Experimental results have shown that the conversion rate is from 16–20:1.
1 Based on ratio of vertical height to corresponding horizontal measurement of dike.
11.3 Harvesting
The normal practice in total harvest involves lowering of the water level in the pond and retaining the shrimp in a bagnet fitted to the water gate. The operation is done in the night time during low tide. Partial harvest can be done using cast net or bamboo trap with a kerosene light as attractant.
11.4 Maintenance of pond
After harvesting is done, the pond should be inspected for repairing of any leakage. Mud on the pond bottom should be removed and spread on the dike. For intensive culture ponds, sediments in ditches should be stirred up with a long-tail boat propeller, and the muddy water flushed out. Alternatively, a mud pumping machine may be used to pump the mud out.
Dike leakage can be repaired by several methods. A leak, for example, can be enlarged and then filled and compacted with wet mud. In the case of serious leakage involving loosened soil, cheap cement board can be buried into the ground and covered with mud. Plastic sheet or nylon mosquito netting material can be used to cover the leaking area and then covered with mud. This method has proven to be effective also to prevent the entrance of burrowing organisms.
12. CONCLUSION
In Thailand, four types of coastal fishponds exist namely; traditional, improved traditional, semi-intensive and intensive for which different culture methods are practised. The best type of pond is that for intensive culture yielding annually 1 000–5 000 t ha. The drawback of this system is that shrimp seeds can only be obtained from hatcheries the supply of which is insufficient to meet the demand. The majority of shrimp ponds are of the improved traditional and semiintensive types, for which the supply of shrimp seeds is either from hatcheries or from the natural stocks.
However, coastal shrimp ponds in Thailand are not as satisfactory as those of the Japanese type in which the bottom is flat without dike in the middle. This substantiates the fact that the area of the pond bottom is more important factor than the volume of water in yield performance. To increase yield, it will be necessary to expand the bottom area of the pond as large as possible.
Constraints associated with the construction of coastal fishponds can be summarized as follows:
Manpower requirement is greater than that for fresh-water fishponds due to prolonged exposure to the sun which reduces the efficiency of the workmen. If mechanical method is used, the machinery will be subject to a greater corrosion rate.
Machines capable of working in swamplands are often very expensive.
Problems of earth dumping are often difficult to resolve.
High fuel cost makes investments unfavourable although propeller push pump is widely used. The design of a high efficiency but low operating cost pump is therefore essential.
To construct intensive culture pond along coastal area is difficult because shrimp seeds from hatcheries are not yet produced in adequate quantities to meet the demand of all shrimp farmers.
Shrimp rearing in brackishwater area needs more studies into the problem of feeds, diseases and pond management.
REFERENCES
Anonymous. 1980 The report of the first meeting of the Thai fisheries biologists of the Brackishwater Fisheries Division on August 26–29. 1980. Brackishwater Fisheries Division, Ministry of Agriculture and Cooperatives, Vol. 4. 133 pp (manuscript, in Thai)
Anonymous. 1982 Fisheries record in Thailand 1980. Fisheries Economics and Planning Sub-Division. Department of Fisheries, Ministry of Agriculture and Cooperatives, No. 7 1980, 107pp.
Shigueno, S. 1975 Shrimp culture in Japan. Association for International Technical Promotion. Tokyo, Japan, 153pp.
Tiensongrusmee. B. 1970 A present status of shrimp farming in Thailand. Marine Fisheries Laboratory. Department of Fisheries, Ministry of Agriculture and Cooperatives. 34pp.
Tiensongrusmee. B. 1980 Method of shrimp culture. Faculty of Fisheries, Kasetsart University, Bangkok, Thailand. 164pp. (in Thai).